Callytron
| Callytron | ||
|---|---|---|
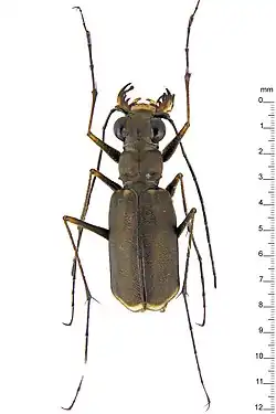
![]() | ||
| Taxonomía | ||
| Reino: | Animalia | |
| Filo: | Arthropoda | |
| Subfilo: | Hexapoda | |
| Clase: | Insecta | |
| Orden: | Coleoptera | |
| Suborden: | Adephaga | |
| Familia: | Carabidae | |
| Subfamilia: | Cicindelinae | |
| Tribu: | Cicindelini | |
| Subtribu: | Cicindelina | |
| Género: |
Callytron Gistl, 1848 | |
| Especies | ||
Ver texto | ||
| Sinonimia | ||
| ||
Callytron es un género de coleópteros adéfagos de la familia Carabidae.
Especies
Contiene las siguientes especies:[2]
- Callytron alleni (W. Horn, 1908)
- Callytron andersoni (Gestro, 1889)
- Callytron doriai (W. Horn, 1897)
- Callytron gyllenhalii (Dejean, 1825)
- Callytron inspeculare (W. Horn, 1904)
- Callytron limosum (Saunders, 1834)
- Callytron malabaricum (Fleutiaux & Maindron, 1903)
- Callytron monalisa (W. Horn, 1927)
- Callytron nivicinctum (Chevrolat, 1845)
- Callytron terminatum (Dejean, 1825)
- Callytron yuasai (Nakane, 1955)
Referencias
- ↑ Callytron en BioLib
- ↑ «Callytron Gistl, 1848». Carabidae of the World. 2011. Archivado desde el original el 15 de agosto de 2012. Consultado el 28 de junio de 2011.
