Triatoma infestans
| Triatoma infestans | ||
|---|---|---|
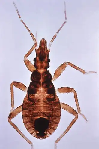
![]() Ejemplar de Triatoma infestans | ||
| Taxonomía | ||
| Reino: | Animalia | |
| Filo: | Arthropoda | |
| Clase: | Insecta | |
| Orden: | Hemiptera | |
| Suborden: | Heteroptera | |
| Infraorden: | Cimicomorpha | |
| Superfamilia: | Reduvioidea | |
| Familia: | Reduviidae | |
| Subfamilia: | Triatominae | |
| Género: | Triatoma | |
| Especie: |
T. infestans (Klug, 1834) | |
Triatoma infestans es un insecto heteróptero de la familia Reduviidae. Es hematófago y considerado uno de los vectores responsables de la transmisión del protozoo Trypanosoma cruzi (T. cruzi) que puede ocasionar la enfermedad de Chagas. Se le denomina pito (en Colombia),[1] vinchuca o chichã guazú (en Paraguay), vinchuca chingapu (en Argentina, Chile, Uruguay y Bolivia), chipo (en Venezuela), chirimacha y lavandera (en Perú), chinchorro (en Ecuador), chinche besucona (México), además de barbeiro palança, percevejo-do-sertão (Brasil), entre otros nombres que comparte con otras especies de triatominos.[2]
Este insecto se encuentra mayormente domiciliado y peridomiciliado, lo que lo convierte en un vector de importancia epidemiológica.[3]
El huésped natural de T. infestans probablemente ha sido desde hace millones de años la cobaya (Cavia porcellus).[4] En Perú, la cobaya se ha reconocido como un importante reservorio de Trypanosoma cruzi, el parásito causante de la enfermedad de Chagas, y causante de gran cantidad de infecciones por T. infestans debido a su amplia presencia como animal doméstico.[5] En Bolivia se ha observado a T. infestans fuera del domicilio humano, asociado a cobayas silvestres. Sin embargo, se alimenta principalmente a cuenta del ser humano, y dada su amplia distribución geográfica y capacidad de adaptarse a vivir en zonas domiciliares y peridomiciliares, esta especie es la mayor causante de casos de infección en América del Sur.
No se debe confundir con la chinche de cama, otro hemíptero hematófago perteneciente a la familia Cimicidae, también vector del Trypanosoma cruzi.[6]
Distribución
T. infestans es una especie endémica del Cono Sur Americano, donde hay una transmisión activa del parásito Trypanosoma cruzi, y donde se presentan nuevos casos de infección cada año. El insecto habita en zonas secas y cálidas, principalmente en Argentina, Chile, Uruguay, Paraguay, Bolivia, Perú, Ecuador, Colombia y Brasil. Es posible hallarla en el 70% del territorio argentino, desde el límite norte, hasta la provincia de Chubut,[3][7] y un 50% del territorio boliviano, en las regiones de clima seco y cálido. En las regiones de Cochabamba y Chuquisaca de Bolivia, la vinchuca es responsable de una de las más altas prevalencias del continente americano. Estas regiones bolivianas son consideradas el lugar de origen y epicentro de dispersión de T. infestans.[8]
Hábitat
Se la clasifica como una especie doméstica y peridoméstica, debido a su capacidad para colonizar fácilmente la vivienda. Con preferencia habita viviendas con paredes sin revoque, techos de paja no alisados, y en lugares próximos al domicilio, como galpones, gallinero y/o corrales de animales. Sin embargo, también se pueden hallar ejemplares de este insecto en viviendas de ladrillos con revoques, siempre y cuando encuentre refugios para esconderse (cuadros, ropa apilada, etc.). Algunas causas principales del "transporte pasivo" de esta especie pueden deberse: a) a que las personas viajan a zonas endémicas del vector y pueden transportarlo inadvertidamente en su equipaje o ropas; y b) por el transporte y acumulación de materiales como quebracho, leña, etc., provenientes de esas zonas.
Características


Ciclo de vida y Morfología
Al igual que el resto de triatominos, esta especie presenta diferentes formas de acuerdo a la etapa de crecimiento en que se encuentra (exopterigotas hemimetábolos), con un tamaño que evoluciona desde los 2 mm (huevo) hasta los 2 cm o 3 cm en el estado adulto. Desde que sale del huevo hasta que alcanza el estado adulto (formas aladas), pasa por cinco etapas de crecimiento (estados ninfales), con cambios graduales de tamaño y sin alas. Las ninfas, al igual que los adultos, son hematófagas.
Esta especie es de color pardo negruzco, con un reborde de bandas transversales (conexivo) que se alternan en colores pardos y amarillos. La cabeza es de forma afilada con dos ligeras protuberancias que son los ojos; tiene, como todos los insectos, seis patas y un par de antenas. Su cuerpo es chato, pero cuando se alimenta su abdomen se hincha y se levantan sus alas, que normalmente están plegadas. Esta especie se caracteriza por tener ptas oscuras, excepto el trocánter y la base de los fémures que son claros. [9][10]
Fisiología y comportamiento
Esta especie puede desarrollarse en zonas de temperaturas frías del sur de Argentina y Chile. No obstante, es un insecto que predomina en climas cálidos y secos, y debido a sus hábitos domiciliarios, el ambiente más propicio para su desarrollo es el de la vivienda. Por lo tanto, la tibieza de las habitaciones favorece su supervivencia.[11]
No es común verlo durante las horas del día ya que se trata de un insecto de hábitos nocturnos, preferentemente a partir de la medianoche y durante la madrugada, para lo cual tiene una vista especializada. Durante las horas diurnas la vinchuca permanece escondida.

La resistencia al ayuno de este insecto es muy grande. La ninfa de quinto estadio (estadio previo al adulto) soporta más de 6 meses de ayuno. Se dice que en ciertos casos, come otros insectos parásitos, como la pulga.[9]
Al igual que Rhodnius prolixus, T. infestans sirve como modelo de innumerables estudios fisiológicos y de comportamiento, por la facilidad de su cría.
Enfermedad de Chagas
La enfermedad de Chagas se manifiesta en las zonas más empobrecidas de América Latina. Incluye a varios componentes: el parásito, como responsable de la patología; el vector, que no es otra cosa que el insecto (los denominados Triatominos); y el hospedante, que puede ser cualquier mamífero, incluido el ser humano. El hábitat de las vinchucas tiene que reunir determinadas condiciones, como viviendas con rajaduras en las paredes, techos de pajas o barro, donde generalmente anidan.
Las especies de vinchucas son más de un centenar, aunque básicamente pueden reducirse a cuatro las que tienen importancia epidemiológica. En Argentina predomina la llamada T. infestans.
Transmisión de la enfermedad de Chagas al ser humano
Una de las características de este insecto es que no deposita el parásito en el tejido humano, sino que, al picar a una persona y succionar la sangre, generalmente de sectores cercanos a la boca como los labios, su intestino se hincha y la obliga a defecar, depositando parásitos en la piel de su víctima. Por la picazón, las personas se rascan, y son ellas mismas las que incorporan el parásito en los tejidos mediante esta acción. Este modelo de transmisión vectorial fue preponderante en toda América Latina hasta la década del 80.
Control
Se han realizado estudios para intentar eliminar el vector de domicilios y peridomicilios de zonas rurales en el norte de Argentina. El uso de insecticidas ha disminuido momentáneamente el número de triatominos, ya que las estructuras peridomiciliares, principalmente aquellas asociadas con el criadero de gallinas,[12] actúan como focos residuales para la reinfestación de T. infestans. La baja eficacia de los insecticidas utilizados se ha atribuido a la falta de acción ovicida, y la degradación y el lavado de los insecticidas utilizados, así como la presencia de gran cantidad de posibles hospedadores en los animales domésticos.[13] A su vez, los piretroides generan cambios en los ciclos biológicos de las vinchucas y las hacen resistentes a los mismos, convirtiendo a la estrategia de control muy ineficiente.[14][15]
Galería de imágenes
-
Detalle de huevos ya eclosionados -
Primeras etapas de desarrollo de T. infestans -
Ninfa de Triatoma infestans alimentándose. -
Detalle del ojo de Vinchuca -
Adulto, vista dorsal
Véase también
Principales triatominos que afectan al ser humano:
Referencias
- ↑ «Plan de interrupción de la transmisión vectorial de la Enfermedad de Chagas». Gobernación de Boyacá. Consultado el 5 de diciembre de 2023.
- ↑ Cazorla-Perfetti, Dalmiro (2016-09). «Revisión de los vectores de la enfermedad de Chagas en Venezuela (Hemiptera-Heteroptera, Reduviidae, Triatominae)». Saber 28 (3): 387-470. ISSN 1315-0162. Consultado el 3 de abril de 2023.
- ↑ a b Programa Nacional de Chagas, Ministerio de Salud. Guía para el control vectorial de la enfermedad de Chagas.
- ↑ Cortez, Mirko Rojas; Pinho, Ana Paula; Cuervo, Patricia; Alfaro, Fernando; Solano, Marco; Xavier, Samanta C.C.; D’Andrea, Paulo Sergio; Fernandes, Octavio et al. (2006-12). «Trypanosoma cruzi (Kinetoplastida Trypanosomatidae): Ecology of the transmission cycle in the wild environment of the Andean valley of Cochabamba, Bolivia». Experimental Parasitology (en inglés) 114 (4): 305-313. doi:10.1016/j.exppara.2006.04.010. Consultado el 19 de abril de 2024.
- ↑ Herrer, Arístides (1955-12). «Trypanosomiasis americana en el Perú: III. Importancia del cobayo como reservorio de la enfermedad de Chagas en la región sudoccidental». Revista Peruana de Medicina Experimental y Salud Publica 9 (1-2): 45-55. ISSN 1726-4634. Consultado el 3 de abril de 2023.
- ↑ «Las chinches de la cama pueden transmitir el parásito de la enfermedad de Chagas | Higiene Ambiental». higieneambiental.com. Consultado el 3 de abril de 2023.
- ↑ Ceccarelli, Soledad; Balsalobre, Agustín; Cano, Maria; Canale, Delmi; Lobbia, Patricia; Stariolo, Raúl; Rabinovich, Jorge; Marti, Gerardo (12 de noviembre de 2020). «Analysis of Chagas disease vectors occurrence data: the Argentinean triatomine species database». Biodiversity Data Journal 8. ISSN 1314-2828. PMC 7679344. PMID 33244290. doi:10.3897/BDJ.8.e58076. Consultado el 30 de abril de 2024.
- ↑ «Manual de Chagas congénito».
- ↑ a b Beneden (1850). Recherches sur la faune littorale de Belgique : les vers cestoïdes / par P.-J. van Beneden.. s.n.,. Consultado el 6 de abril de 2023.
- ↑ Lent, Herman; Wygodzinsky, Pedro W. (1979). «Revision of the Triatominae (Hemiptera, Reduviidae), and their significance as vectors of Chagas' disease.». Bulletin of the AMNH. 163, article 3.
- ↑ Schaefer, Carl W. (1994). «Triatominae: Biology & Control». Journal of Medical Entomology,. Volume 32, Issue 6, 1 November 1995, Pages 911–912,.
- ↑ Vallvé, Silvana L.; Rojo, Héctor; Wisnivesky-Colli, Cristina (1995-06). «Ecología urbana de Triatoma infestans en Argentina: asociación entre Triatoma infestans y palomares». Revista de Saúde Pública 29 (3): 192-198. ISSN 0034-8910. doi:10.1590/S0034-89101995000300006. Consultado el 6 de abril de 2023.
- ↑ Cecere, Maria C.; Gurtler, Ricardo E.; Canale, Delmi m; Chuit, Roberto; Cohen, Joel E. (1996). «El papel del peridomicilio en la eliminacion de Triatoma infestants de comunidades rurales argentinas». Boletín de la Oficina Sanitaria Panamericana (OSP);121(1),jul. 1996 (en inglés). Consultado el 6 de abril de 2023.
- ↑ Mougabure Cueto, Gastón Adolfo; Lobbia, Patricia Alejandra (2021-12). Estado de la resistencia a insecticidas en Triatoma infestans de Argentina. ISSN 1577-9572. Consultado el 6 de abril de 2023.
- ↑ Lobbia, Patricia A.; Álvarez, Rodrigo; Picollo, Maria I.; Mougabure-Cueto, Gastón (26 de septiembre de 2019). «First record of domestic colonies of the dark chromatic variant of Triatoma infestans (Hemiptera: Reduviidae)». Revista de la Sociedad Entomológica Argentina 78 (3): 33-37. ISSN 1851-7471. doi:10.25085/rsea.780307. Consultado el 6 de abril de 2023.
Bibliografía
- Bastien WJ (1998). The kiss of death: Chagas' disease in the Americas. The University of Utah Press. Salt Lake City.
- Brenner RR, Stoka AM (1987) Chagas’ disease vectors. I, II and III. CRC Press. Boca Ratón
- Dujardin JP, Shcofield CJ, Panzera F (2000). Les vecteurs de la maladie de Chagas: recherches taxonomiques, biologiques et génétiques. Academie Royale des Sciences d'Ultre-Mer. Belguium.
- Lent H, Wygodzinsky P (1979). Revision of the Triatominae (Hemiptera, Reduviidae), and their significance as vectors of Chagas disease. Bull Am Mus Nat Hist 163:123–520
- Reisenman CE, Insausti TC, Lazzari CR (2002). Light-induced and circadian changes in the compound eye of the haematophagous bug Triatoma infestans (Hemiptera: Reduviidae). The Journal of Experimental Biology 205:201–210
- Schofield CJ (1994). Triatominae: biology & control. Eurocommunica Publications. West Sussex. UK 80 pp.
Enlaces externos
Wikimedia Commons alberga una galería multimedia sobre Triatoma infestans.- Estudio de la vinchuca en la Universidad Nacional de Córdoba para combatir el mal de Chagas