Hôtel de Soissons
| Hôtel de Soissons | ||
|---|---|---|
![]() | ||
| Localización | ||
| País | Francia | |
| Ubicación | 2, rue de Viarmes, París (1er distrito) | |
| Coordenadas | 48°51′47″N 2°20′35″E / 48.863, 2.343 | |
| Información general | ||
| Estado | Demolido 1748 | |
| Usos | Hôtel particulier | |
| Estilo | arquitectura del Renacimiento | |
| Construcción | 1574- 1584 | |
| Propietario | municipalidad de París | |
| Diseño y construcción | ||
| Arquitecto | Jean Bullant | |
| Mapa de localización | ||
![]() Hôtel de Soissons Ubicación en París. | ||
El hôtel de Soissons, anteriormente hôtel de la Reina (en francés: hôtel de la Reine fue un antiguo hôtel particulier (palacio urbano) de París, hoy desaparecido, construido entre 1574 y 1584[1] por el arquitecto Jean Bullant (1515-1578) para la reina Catalina de Médici (1519-1589) en el corazón de la capital, en el actual barrio de Les Halles. Toma su nombre de Carlos de Borbón, conde de Soissons (primo del rey Enrique IV) que fue uno de sus propietarios.[Nota 1]
El edificio reemplazó a una serie de edificios anteriores ubicados en el mismo lugar. Después de la muerte de Catalina, el hotel fue ampliado y embellecido. El último propietario, Víctor Amadeo I de Saboya, príncipe de Carignano, que había instalado la Bolsa de París en los jardines, se vio obligado a venderla en 1740 para pagar sus deudas. Fue demolido en 1748 y se vendieron los materiales. Se construyó una bolsa para negociar el maíz en el sitio, luego reemplazada por la Bolsa de Comercio. Una columna, que se cree que se utilizó para observaciones astrológicas, es todo lo que queda.
Historia
Edad Media
Originalmente hubo un hôtel en el lugar que era propiedad al principio del siglo XIII de Juan II de Nesle. Al no tener herederos, en 1232 cedió la propiedad a San Luis (1214-1270), quien lo ofreció a su madre, Blanca de Castilla (1188-1252), para convertirlo en su residencia. El rey Felipe le Bel (1268-1314), que lo heredó, lo ofreció en 1296 a su hermano, Carlos de Valois (1270-1325). El hôtel pasó luego al hijo de este último, el rey Felipe de Valois (1293-1350), quien se lo cedió a Juan I de Bohemia (1296-1346), conde de Luxemburgo y rey de Bohemia, hijo del emperador Enrique VII del Sacro Imperio.
Su hija, Bona de Luxemburgo (1315-1349) , heredera del hôtel en 1327, se casó con el príncipe Juan de Normandía (1319-1364), futuro rey de Francia bajo el nombre de Juan le Bon. Su hijo, el rey Carlos V (1338-1380), lo cedió a Amadeo VI, conde de Saboya (1334-1383) en 1354. Luego perteneció a Luis, duque de Anjou (1339-1384) e hijo del rey Juan. Su viuda, María de Blois (1345-1404), lo vendió en 1388 al rey Carlos VI (1368-1422), quien lo ofreció a su hermano Luis, duque de Touraine y Orleans (1462-1515), y futuro rey de Francia.
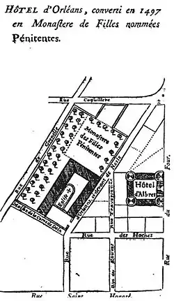
A instancias de Jean Tisseran, confesor del rey Carlos VIII (1470-1498), este creó el «convento de las muchachas arrepentidas» instalado en 1498, en parte del hôtel, mientras que el resto de los edificios fueron compartidos entre el condestable de Francia y el canciller del duque de Orleans.
El hôtel de la Reina



A partir de 1572, Catalina de Médici (1519-1589), viuda de Enrique II (1519-1559) y gobernante efectiva de Francia, abandonó repentinamente el Palacio de las Tullerías que estaba construyendo y adquirió un hôtel llamado de Albret,[2] compuesto por varias residencias que colindaban con el convento por el este. Se instaló allí y comenzó a acondicionar lo que se convertiría en el Hôtel de la Reine. La hipótesis según la cual una predicción[3] sería la causa de este apresurado movimiento es la más utilizada. Sin embargo, es difícil saber con precisión las razones de ello.
Sea cual fuese la razón, la reina madre compró en 1572 los edificios que rodeaban el hôtel de Albret para integrarlos en su residencia. Como la propiedad así obtenida no era suficiente para sus necesidades, hizo remover una calle llamada rue d'Anjou, que estaría ubicada en el sitio de la actual Bolsa de valores, y obtuvo el «convento de las muchachas arrepentidas» a cambio de la propiedad de los edificios de la abadía de Saint-Magloire que poseía en la rue Saint-Denis, cuyos monjes, de la orden de San Benito, fueron trasladados al faubourg Saint-Jacques. El espacio recién adquirido, toda una zona dentro de las murallas de la ciudad de París en la parroquia de Saint-Eustache, fue despejado y los edificios demolidos —incluidos el Hôtel Guillart y el Hôtel d'Albret[4]— y se convirtió en un vasto jardín que se extendía hasta la rue de Grenelle (hoy rue Jean-Jacques-Rousseau, en su parte sur, cerca de la rue Coquillière). Una hermosa Venus reclinada en mármol de Jean Goujon decoraba la cuenca de una de las fuentes.
Todo el proyecto fue encomendado al arquitecto Jean Bullant (1515-1578), quien se ocupó de él desde 1572 hasta su muerte y comenzó a elevar el terreno 14 pies para situar el edificio a salvo de las inundaciones del Sena.[5] Catalina había dejado atrás sus apartamentos en el Louvre y necesitaba más espacio para su creciente hogar.[6] Entre 1575 y 1583, por ejemplo, el número de damas de honor de Catalina aumentó de 68 a 111.[7]
El hôtel constaba de varios apartamentos, incluido uno para la reina madre y otro para su nieta Cristina de Lorena. El rey y la reina, Enrique III de Francia y Luisa de Lorena también tenían allí sus habitaciones respectivas. El hôtel incluía galerías y salas de recepción, bellamente decoradas y adornadas con las colecciones de arte de Catalina de Médici. Luego sirvió como escenario para recepciones sociales y políticas en la corte. Se realizaron muchas mejoras a lo largo del tiempo, en particular en 1611 un magnífico portal erigido por Salomon de Brosse.
El nuevo palacio era conocido en la época de Catalina como el Hôtel de la Reine. El diseño original se basó en el palacio de los Uffizi de Florencia, pero Catalina abandonó esa idea por un plan menos costoso después de 1576.[8] Grabados hechos por Israel Silvestre alrededor de 1650 y un plano de alrededor de 1700 muestran que el Hôtel de la Reine tenía un ala central, un patio y jardines.[8] El ala central constaba de tres grandes pabellones con techos altos e inclinados. En el medio, dos altos salientes decorados con pilastras flanqueaban un arco. Los jardines amurallados del hôtel disponían de un aviario, un lago con chorro de agua y largas avenidas arboladas. Catalina también instaló un invernadero que podía ser desmontado en invierno[7]
Junto al hôtel se construyó en 1574 una torre de 31 metros de altura con una plataforma enjaulada, ahora llamada columna de los Medici.[9] Es posible que la columna fuera utilizada para observaciones por el astrólogo personal de la reina, el florentino Cosimo Ruggeri, supuesto autor de la predicción ya mencionada. La escalera interior conduce a una plataforma que puede albergar a tres personas y está coronada por una jaula de hierro. Se piensa que antes una balconada rodearía la parte superior.[10] La solitaria columna dórica, conocida como Colonne de l'Horoscope, estaba en el patio.[8] La columna también parece haber tenido un significado conmemorativo.[11] Tallados con espejos rotos, nudos de amor rotos y las letras «C» y «H» entrelazadas, todos símbolos del dolor de Catalina por la pérdida de su marido, están incrustadas en las estrías.[7] A la izquierda de la escalera de la torre había un vestíbulo, la habitación más grande del complejo. El ala central, dibujada por Silvestre desde el jardín, se extendía por su lado norte.[8]

- Construcciones sucesivas en el sitio de la Bolsa de Comercio desde 1230 hasta 2008
-
Hôtel de Nesle en 1230 -
Hôtel de Bahaigne en 1388 -
«Convento de las muchachas arrepentidas» en 1497 -
Hôtel de la Reine en 1572 -
Hôtel de Soissons en 1600 -
Halles aux Grains en 1763
Historia posterior del edificio


.jpg)
En 1589, tras la muerte de Catalina de Medici y del asesinato del duque de Guisa, el hôtel fue ocupado por las «princesas de la Liga» (incluida Ana de Este). En esta ocasión, tomó provisionalmente el nombre de hôtel des Princesses. Durante este episodio, fue despojado de gran parte de sus muebles. En 1601, tras largos problemas de sucesión vinculados a las deudas acumuladas por Catalina de Médici, los herederos de la reina cedieron el hôtel a Catalina de Borbón (1559-1604), hermana de Enrique IV (1553-1610). Se realizaron muchas mejoras en el hotel con el tiempo, incluido un hermoso portal alto en 1611, de Salomon de Brosse. A la muerte de Enrique, fue adquirido por Carlos de Borbón, conde de Soissons, que lo reparó y amplió y le dio su nombre (Hôtel de Soissons). Este último murió en 1612 y su viuda, Anne de Montafié, condesa de Soissons, continuó adquiriendo muchas propiedades alrededor del hôtel hasta 1644 cuando murió. El hôtel de Soissons presentaba entonces su aspecto y tamaño definitivos. Luego pasó a su hija, María de Borbón (1606-1692), esposa de Tomás de Saboya (1596-1656), príncipe de Carignano. Su hijo Emmanuel-Philibert (1628-1709) heredó la propiedad, que luego pasó a su sucesor Víctor Amadeo I de Saboya (1690-1741), príncipe de Carignano, en 1718.
En 1720 estableció en los jardines del hôtel unos barracones para acomodar a los corredores de la Bolsa de París, para aliviar a los vecinos de la rue Quincampoix, donde se agitaba la especulación bajo las ventanas de la Compagnie du Mississippi. Arruinado por la quiebra de Law, tuvo que vender la propiedad en 1740. La alcaldía de París compró el terreno y destruyó los edificios en 1748. Se vendieron los materiales para pagar los créditos.[9] La columna, vendida por separado, fue adquirida por Louis Petit de Bachaumont, quien luego la donó a la ciudad de París. La columna es todo lo que queda del Hôtel de la Reine en la actualidad.[8] Se puede ver junto a la cúpula de la antigua Bolsa de Comercio y la biógrafa de Catalina, Leonie Frieda, dice de lla que es «un recordatorio conmovedor de la naturaleza fugaz del poder».[12] Entre 1763 y 1767, la ciudad de París construyó la Sala de Granos, un edificio circular en el sitio para el almacenamiento y venta de trigo.[9] La Halle au blé fue diseñada por Nicolas Le Camus de Mézières con un patio central circular y una escalera doble. Fue reemplazado por la Bolsa de Comercio en 1889, aunque se mantuvo la distribución de ese edificio.[1]
Notas
- ↑ Como fruto de una larga acumulación de propiedades, fue llamado a lo largo del tiempo «hôtel de Nesle», «hôtel de Bohême», «hôtel d'Orléans», «hôtel de la Reine», según las familias nobles a las que perteneció sucesivamente.
- ↑ a b Bourse de Commerce – Structurae,.
- ↑ ¿No sería este el hôtel donde murió el 9 de junio de 1572 Jeanne d'Albret, la madre de Enrique IV, de hecho el hôtel particulier de Charles Guillard (fall. 1573), antiguo obispo de Chartres, rue de Grenelle (al sur de lo que ahora es rue Jean-Jacques Rousseau, cerca de la rue Coquillière)?
- ↑ El astrólogo Cosme Ruggieri habría predicho a Catalina de Medici que moriría «cerca de Saint-Germain», lo que habría interrumpido la construcción del Palacio de las Tullerías ubicado cerca de la iglesia de de Saint-Germain-l'Auxerrois de París. La reina madre murió el 5 de enero de 1589 en el castillo de Blois; el sacerdote llamado para llevarle la extremaunción se llamaba Julien de Saint-Germain.
- ↑ Frieda, 2005, p. 335.
- ↑ Henri-Louis Bayard : Mémoire sur la topographie médicale du IVe arrondissement de Paris
- ↑ Knecht, 1998, p. 230.
- ↑ a b c Knecht, 1998, p. 223.
- ↑ a b c d e Thomson, 1984, p. 176.
- ↑ a b c Hillairet, 1978.
- ↑ Frieda, 2005, p. 336.
- ↑ Thomson, 1984, p. 175.
- ↑ Frieda, 2005, p. 455.
Fuentes
- «Bourse de Commerce». Structurae (en francés). Consultado el 18 de septiembre de 2015.
- Frieda, Leonie (2005). Catherine de Medici. London: Phoenix. ISBN 0-7538-2039-0.
- Hillairet, Jacques (1978). «Connaissance du Vieux Paris» (en francés). Editions de Minuit. Consultado el 19 de septiembre de 2015.
- Knecht, R. J. (1998). Catherine de' Medici. London and New York: Longman. ISBN 0-582-08241-2.
- Thomson, David (1984). Renaissance Paris: Architecture and Growth, 1475-1600. Berkeley: University of California Press. ISBN 0-520-05347-8. Consultado el 21 de marzo de 2008.
Referencias
Bibliografía
- Marie-Noëlle Baudouin-Matuszek (dir.); Catherine Madoni (capítulo) (1989). Paris et Catherine de Médicis (cap.: L'hôtel de la Reine) (29 cm). París: Délégation à l'action artistique de la Ville de Paris. pp. 108-127 (de 190). ISBN 2-905118-16-4..
- Chantal Turbide, « Catherine de Médicis, mécène d'art contemporain : l'hôtel de la reine et ses collections » dans Patronnes et mécènes en France à la Renaissance, études réunies par Kathleen Wilson-Chevalier, Publications de l'université de Saint-Étienne, 2007.
- Luisa Capodieci, Medicæa Medæa. Art, astres et pouvoir à la cour de Catherine de Médicis, Genève, Droz, 2011.
- Camille Piton, Comment Paris s'est transformé : histoire de Paris, topographie, mœurs, usages, origines de la haute bourgeoisie parisienne : le quartier des Halles, p. 3-133, J. Rothschild éditeur, Paris, 1891 (lire en ligne)
Enlaces externos
- Esta obra contiene una traducción derivada de «Hôtel de Soissons» de Wikipedia en francés, publicada por sus editores bajo la Licencia de documentación libre de GNU y la Licencia Creative Commons Atribución-CompartirIgual 4.0 Internacional.

