Huracán Alex (2010)
| Huracán Alex | ||
|---|---|---|
| Huracán categoría 2 (EHSS) | ||
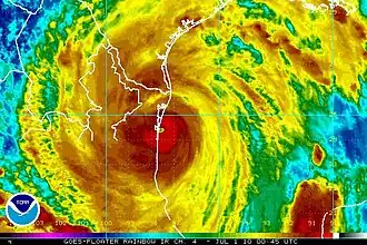
![]() Vista de imagen del satélite, el huracán Alex en su máxima intensidad sobre el Golfo de México en la madrugada del 1 de julio de 2010. | ||
| Historia meteorológica | ||
| Formado | 25 de junio de 2010 | |
| Disipado | 2 de julio de 2010 | |
| Vientos máximos |
175 km/h (110 mph) (durante 1 minuto) | |
| Presión mínima | 946 mbar | |
| Efectos generales | ||
| Víctimas mortales | 12 totales | |
| Daños totales |
$1.52 mil millones (estimación, 2010) | |
| Áreas afectadas | ||
| Forma parte de la temporada de huracanes del Atlántico de 2010 | ||
El huracán Alex fue el primer ciclón tropical de la temporada anual de huracanes y un huracán inusual en junio. Originado en una zona de mal tiempo el 25 de junio de 2010, se desarrolló lentamente en el oeste del Mar Caribe y azotó Belice como una fuerte tormenta tropical. Tras entrar en el Golfo de México, Alex alcanzó gran tamaño y encontró condiciones favorables para un desarrollo gradual. A primeras horas del 30 de junio, el ciclón alcanzó la categoría de huracán al acercarse al noreste de México, el primer huracán de junio en la cuenca atlántica desde el huracán Allison en 1995, y la tormenta se intensificó rápidamente frente a la costa de Tamaulipas. Alex tocó tierra cerca de Soto la Marina como un huracán de categoría 2 en la escala de vientos de huracanes Saffir-Simpson. Alex se debilitó rápidamente tras tocar tierra, perdiendo su categoría tropical el 2 de julio, antes de disiparse por completo el 6 de julio.
Alex causó la muerte de al menos 51 personas a su paso y generó daños por más de 1.500 millones de dólares (USD 2010).[nb 1] El huracán precursor generó lluvias abundantes en las Antillas Mayores, causando una muerte en República Dominicana. Catorce personas murieron en Centroamérica como consecuencia de las inundaciones durante la primera llegada de Alex. En México, las bandas de lluvia externas de la tormenta causaron la muerte de tres personas en Acapulco de Juarez, una en Oaxaca y otra en Chiapas. En su último paso por tierra, Alex causó al menos quince muertes en Nuevo León, ocho en Coahuila, seis en Guanajuato y una en Tamaulipas y San Luis Potosí; otras veinte personas fueron reportadas como desaparecidas.
Alex provocó cortes de electricidad generalizados en el noreste de México y el sur de Texas. Los daños fueron más evidentes en el área metropolitana de Monterrey, que enfrentó lo que el gobernador de Nuevo León, Rodrigo Medina de la Cruz, describió como "el peor fenómeno meteorológico de su historia". Tras el último impacto de Alex, se declaró el estado de emergencia en la mayor parte de Nuevo León, partes de Tamaulipas y Texas. Las inundaciones generalizadas causadas por la tormenta afectaron a 500,000 personas en todo el noreste de México y arruinaron más de 200,000 hectáreas (500,000 acres) de cultivos en la región, lo que equivale al 11% del total de tierras agrícolas de la región. A pesar de los considerables daños y el número de víctimas, el nombre Alex no se retiró tras la temporada.
Historia meteorológica

El sistema meteorológico del cual se desarrolló el huracán Alex se percibió por primera vez como una perturbación en la Zona de Convergencia Intertropical (ZCIT) sobre el Atlántico central, el 17 de junio de 2010.[2] Durante los siguientes días, la mayor parte de las perturbaciones asociadas a la actividad tormentosa se concentraron dentro de la ZCIT.[3] El Centro Nacional de Huracanes (NHC) mencionó por primera vez el sistema como candidato para la formación de un ciclón tropical el 20 de junio, mientras cruzaba las Islas de Barlovento hacia el sureste del Mar Caribe; en ese momento, había cierta cizalladura del viento en los niveles superiores, lo que generó condiciones solo marginalmente favorables para el desarrollo.[4] El sistema se desplazó por el Caribe y el 21 de junio se desarrolló hasta tal punto que el NHC evaluó una probabilidad del 50% de que se convirtiera en depresión tropical en 48 horas.[5] Sin embargo, al día siguiente la situación empeoró, ya que la actividad tormentosa se extendió por las Antillas Mayores, aunque el régimen de niveles superiores siguió siendo favorable para una eventual reurbanización.[6]
El 24 de junio, una circulación de bajo nivel se había ido estableciendo gradualmente al sur de Jamaica, aunque fue desplazada por su convección mal organizada.[7] A las 18:00 UTC, se había formado un área de baja presión en la superficie a unas 105 millas (169 km) al noreste de Cabo Gracias a Dios, Nicaragua, pero debido a la falta de actividad de tormentas eléctricas persistentes, todavía no se consideraba un ciclón tropical.[2] Más tarde ese día, la convección aumentó en el centro de circulación y las presiones atmosféricas cayeron en toda la región.[8] A última hora del 25 de junio, los Cazahuracanes verificaron el desarrollo de una zona de baja presión superficial, lo cual, sumado al aumento de la actividad de tormentas eléctricas, indicó que el sistema era una depresión tropical. Por consiguiente, el ciclón se clasificó como depresión tropical Uno a las 22:00 UTC, mientras se encontraba a unos 555 km (345 millas) al este-sureste de Chetumal en Quintana Roo.[9] Después del final de la temporada de huracanes, el Centro Nacional de Huracanes revisó su análisis y estimó que el sistema se había convertido en realidad en una depresión tropical alrededor de las 18:00 UTC.[2] En el momento de su formación, la depresión se movía hacia el oeste-noroeste, impulsada por un sistema de alta presión sobre el norte del Golfo de México.[10] Un anticiclón situado sobre la tormenta creó un entorno de mínima cizalladura del viento, y la depresión se intensificó rápidamente. A las 09:00 UTC del 26 de junio, el sistema obtuvo el estatus de tormenta tropical y recibió el nombre de Alex.[11]
A medida que la tormenta tropical Alex avanzaba por el oeste del mar Caribe hacia la península de Yucatán, desarrolló un amplio campo de nubes acompañado de una corriente de salida bien definida a lo largo de su circulación. Su estructura interna fue inicialmente desorganizada,[12] aunque a finales del 26 de junio se definió con mayor precisión. Alrededor de las 21:00 UTC, mientras la tormenta tropical se acercaba a la costa de Belice, un vuelo de los cazadores de huracanes reportó vientos de 105 km/h (65 mph);[13] a primeras horas del 27 de junio, Alex tocó tierra justo al norte de la ciudad de Belice con esta intensidad. Al tocar tierra, aumentó un área de convección sobre el centro,[14] y la convección inicialmente se definió con mayor precisión al cruzar la península de Yucatán. Si bien la mayoría de los ciclones tropicales se debilitan y se desorganizan tras tocar tierra, Alex pareció fortalecerse al observarse en imágenes de radar y satélite. El Centro Nacional de Huracanes señaló en una de sus discusiones sobre pronósticos que la estructura del ciclón se asemejaba más a un huracán que a una tormenta en deterioro.[15] Aun así, tras permanecer suficiente tiempo sobre tierra, la actividad convectiva disminuyó notablemente. Operacionalmente, Alex se degradó a depresión tropical al acercarse a la costa occidental de la península; sin embargo, un análisis posterior determinó que Alex seguía siendo una tormenta tropical mínima. A última hora del 27 de junio, la tormenta emergió en el Golfo de México con una gran estructura convectiva general, pero con escasa actividad de tormentas eléctricas cerca del centro debido a la interacción con tierra.[16][17]

Cuando Alex aún se encontraba sobre la península de Yucatán, el Centro Nacional de Huracanes (CNH) advirtió sobre la posibilidad de un fortalecimiento significativo. Debido a la baja cizalladura del viento y a las temperaturas muy cálidas del agua en el Golfo de México, existía la posibilidad de que Alex se intensificara hasta convertirse en un huracán mayor (una tormenta de categoría 3 en la escala de huracanes de Saffir-Simpson) antes de tocar tierra.[15] A primera hora del 28 de junio, la actividad de tormenta eléctrica se había reformado sobre el centro, pero durante el día siguiente, la combinación de aire seco, cizalladura del viento en aumento y temperaturas del agua ligeramente más frías impidieron que se desarrollara una convección significativa sobre el centro.[18] Al mismo tiempo, Alex se desplazaba lentamente frente a la costa noroeste de la Península de Yucatán, y las condiciones ambientales se volvían más favorables para la intensificación a medida que la tormenta tropical se alejaba de la costa.[19] La envoltura de circulación de Alex permaneció muy grande, y para el 29 de junio, las bandas de lluvia de la tormenta cubrían toda la mitad occidental del Golfo de México; se reportaron lluvias a lo largo de las costas de Texas y Luisiana, incluso cuando el centro todavía estaba a varios cientos de millas de la costa.[20] La tormenta tropical continuó fortaleciéndose y, según informes de los cazadores de huracanes,[21] se estima que Alex alcanzó el estado de huracán de categoría 1 a las 03:00 UTC del 30 de junio, a unas 255 millas (410 km) al sureste de Brownsville, Texas.[22]
Al convertirse en huracán, Alex se encontraba en un ambiente húmedo y de baja cizalladura, lo que provocó una intensificación constante el 30 de junio. La presión continuó cayendo (señal de un ciclón que se intensificaba) y esa tarde y noche se produjo una caída más rápida.[23] El huracán se intensificó hasta convertirse en una tormenta de categoría 2 a última hora del 30 de junio, a medida que se acercaba a la costa noreste de México. A las 02:00 UTC del 1 de julio, Alex tocó tierra con su máxima intensidad, con vientos máximos sostenidos de 180 km/h (110 mph) y una presión central inusualmente baja de 946 milibares (27.9 inHg) en el municipio de Soto la Marina, en el estado mexicano de Tamaulipas.[2][24] Operacionalmente, el Centro Nacional de Huracanes estimó que la intensidad del impacto fue de 105 mph (169 km/h), con ráfagas de 125 mph (201 km/h) y una presión atmosférica de 947 milibares (28,0 inHg) cuando golpeó la costa mexicana.[25][26] Varias horas después de tocar tierra, la tormenta se debilitó a categoría 1 y su estructura comenzó a deteriorarse.[27] Sin embargo, persistía una convección profunda alrededor del centro.[28] A las 12:00 UTC, Alex se había debilitado hasta convertirse en tormenta tropical; a las 00:00 UTC del 2 de julio, la Sierra Madre Oriental alteró su núcleo,[29] debilitándolo hasta convertirse en depresión tropical. Poco después, el centro de circulación de bajo nivel de la tormenta se disipó sobre San Luis Potosí.[2] Sin embargo, la interacción con la cordillera provocó un levantamiento orográfico en el lado este de la tormenta después de que el centro de circulación de bajo nivel había dejado de existir, produciendo lluvias torrenciales en todo el norte y centro de México.[25][30] Después de la disipación de Alex, la divergencia en el nivel de presión atmosférica de 200 mb (aproximadamente a 10 km (6,2 mi) de altitud), una cresta de alta presión ubicada sobre el sur de Texas y la humedad residual de Alex interactuaron para producir una intensa convección sobre Nuevo León, Tamaulipas y Coahuila durante las siguientes 72 horas.[25] La circulación media de Alex persistió durante varios días más, con los remanentes girando hacia el noreste y avanzando lentamente hacia Texas. El 6 de julio, los remanentes de Alex se disiparon cerca de la frontera con el suroeste de Texas.[31]
Récords
Alex igualó la presión barométrica más baja registrada para un huracán del Atlántico en junio, establecida por el huracán Audrey en 1957. También fue el primer huracán del Atlántico en junio desde el huracán Allison en 1995, y el más fuerte en términos de velocidad del viento sostenida desde el huracán Alma en 1966.
Preparativos
América Central
Junto con el anuncio de formación de la nueva depresión tropical, el día 25 se emitieron avisos para toda la costa del estado mexicano de Quintana Roo en la península de Yucatán. Poco después, se extendió la advertencia de tormenta tropical para la costa de Belice.[32] Horas más tarde, el gobierno de Honduras emitió una advertencia para las Islas de la Bahía: Roatán, Guanaja y Utila. En el continente, se anunció una vigilancia de tormenta tropical para la costa desde Limón hasta la frontera con Guatemala, al norte.[33] En El Salvador, Protección Civil emitió una alerta naranja el día 28 de junio.[34]
Golfo de México

En la noche del 28 de junio se emitió una advertencia de huracán para la costa de Texas al Sur de Bahía de Baffin hasta el Río Grande, al aproximarse Alex a la costa. El gobierno de México también emitió una advertencia de huracán la frontera en la desembocadura del Río Bravo al Sur hasta La Cruz, en el estado de Tamaulipas. Se emitieron también advertencia de tormenta tropical para Texas, desde Port O'Connor al Sur hasta Bahía de Baffin y en México, desde La Cruz hasta el Cabo Rojo. Además, Rick Perry, gobernador de Texas proclamó 19 condados como zona de desastre, en vistas a las repercusiones que el ciclón podía tener en su estado.[35] El presidente de Estados Unidos, Barack Obama también declaró el estado de emergencia y liberó fondos federales para 25 condados de Texas.[36][37]
El 29 de junio las autoridades de Tamaulipas comenzaron a evacuar los residentes de las áreas costeras de los municipios de Soto la Marina, Matamoros y San Fernando.[38] El 30 de junio, la Secretaría de Educación y la Agencia de Protección Civil del estado anunciaron el cierre de las escuelas durante la tormenta. Se abrieron 13 refugios en Reynosa ,[39] 22 en Matamoros y 10 en San Fernando, a donde se trasladaron unas 3000 personas.[40] En todo el estado, se solicitó la evacuación de unas 20 000 personas a áreas más seguras.[41] Ese mismo día, las escuelas de Nuevo León fueron cerradas por al menos 24 horas,[42] y más tarde lo hicieron la Universidad Regiomontana, la Universidad de Monterrey y la Universidad Autónoma de Nuevo León.[43] En Monterrey se ordenaron evacuaciones obligatorias a lo largo del Río Santa Catarina, así como el traslado de 5000 familias de las partes más altas de la ciudad.[39] Se abrieron en el estado más de 100 refugios.[44] En Coahuila no se suspendieron las clases, ya que se esperaba el debilitamiento de Alex.[45]
El Servicio Meteorológico Nacional (Estados Unidos) en Brownsville, Texas, publicó un aviso de inundación para la región sur del estado, ya que se preveían intensas lluvias por hasta 18 horas con potencial de inundaciones, especialmente en áreas de drenaje lento como las afectadas por el huracán Dolly de 2008. Se abrieron refugios y se organizaron evacuaciones voluntarias en la Isla del Padre,[20] donde al menos unas 1000 personas buscaron protección.[46]
Impacto
Mar Caribe
El sistema produjo abundante lluvias a su paso por las Antillas Mayores, cuando aún no era una depresión tropical.[6] Las lluvias forzaron la evacuación de unas 3000 personas en la República Dominicana, mientras en su capital, Santo Domingo, unas 160 casas resultaban inundadas, fallecía una persona y otra desaparecía, todo ello debido a la crecida de ríos.[47][48][49][50] También, en San Juan hubo más de 500 casas inundadas.[51][52] En el vecino Haití, se registraron inundaciones menores en el departamento de Artibonito, especialmente en Gonaïves.[53] El servicio meteorológico de Jamaica emitió advertencias de inundación para todo el país, debido a las intensas tormentas eléctricas provocadas por la onda tropical.[54]
En América Central, las inundaciones causadas por Alex dejaron 14 personas fallecidas: seis en Nicaragua, seis en El Salvador y dos en Guatemala.[55][56][57] En Guatemala, unos 350 hogares y ocho carreteras sufrieron graves daños, afectando a unas 9000 personas. En total, unas 2000 buscaron protección en los refugios en el país.[58]
Golfo de México
De acuerdo con el gobierno de México, Alex impidió la producción de 420 000 barriles (67 000 m³) de petróleo crudo por día, lo que corresponde al 25% de la producción total anual del país. Pemex evacuó 66 empleados de sus plataformas costeras en Veracruz y Tamaulipas.[59] Petrobras también evacuó su plataforma en el área, mientras Royal Dutch Shell desplazaba a 930 empleados a lugares más seguros.[60] En Estados Unidos, hubo evacuaciones en seis pozos y 69 plataformas, lo que causó que un 21% de petróleo y un 14% de gas natural dejaran de producirse en el área.[61]
A más de ello, se esperaba que la tormenta entorpeciera las operaciones de descontamnación y limpieza de la plataforma Deepwater Horizon, que se hundió en el golfo el 22 de abril de 2010, provocando el mayor derrame de petróleo de la historia del país.[62] Aunque se mantuvo bastante alejado del sitio del derrame, al acercarse Alex la empresa BP vio retrasadas sus labores de captura de crudo, que para ese entonces continuaba brotando del pozo destruido. El viento y el oleaje provocados por el huracán causó la dispersión de la marea negra, llevándola a lugares más alejados como Florida y extendiendo, así, el área de potencial daño ecológico.,[63] Residuos sólidos como alquitrán, en Grand Isle, Luisiana y fueron dejados por la resaca en otras zonas de Alabama y Florida.[64][65] Además, el huracán causó la dispersión de la marea negra, llevándola a lugares tan alejados como Florida.[63] y extendiendo el daño ecológico.
México
En Chiapas, una persona falleció y otras cuatro resultaron heridas cuando el autobús en el que viajaban dio un vuelco, en una carretera dañada.[41] El sistema de defensa civil del país declaró que unas 964 familias de 17 municipios fueron evacuadas hacia refugios e informó que las lluvias torrenciales de Alex produjeron 23 deslizamientos de tierra en seis municipios del estado.[66][59] El 30 de junio, un deslizamiento provocó que un árbol caído cortara una línea eléctrica cerca de la localidad de El Vergel, dejando sin energía eléctrica a más de 80 pueblos con unos 32 000 habitantes en las municipalidades de Villa Flores y Villa Corzo. La energía fue restablecida esa misma noche.[67] En Yucatán, una embarcación con siete pasajeros volcó a causa del oleaje, aunque todos sus ocupantes fueron resactados.[66] En Campeche, 937 casas sufrieron daños menores como resultado del paso de la tormenta.[59]
Antes de tocar tierra por segunda vez, Alex causó una muerte en el estado de Oaxaca, cuando un muro colapsó sobre una vivienda en San Juan Chapultepec, donde dormía una mujer. Cerca de San Francisco Ixhatán, el río Ostuta se salió de su cauce, anegando 1000 viviendas. Río arriba, en Reforma de Pineda, la crecida del río afectó más de 100 familias, cuyos hogares se vieron inundados con más de 1 metro de agua.[66] En total, 3500 familias se vieron afectadas por Alex en ese estado.[59] Las lluvias de las bandas externas del huracán causaron tres víctimas al derrumbarse sobre su improvisada vivienda en un terreno baldío. Una investigación posterior encontró que el muro de contención había sido construido sin contrafuertes y que la lluvia torrencial había debilitado sus cimientos.[68]
Noreste de México

El principal impacto de Alex fue la lluvia torrencial que se registró en toda la región. En el estado de Tamaulipas, se registraron lluvias que variaron entre los 91,25 y los 315,50 mm.[69] En Nuevo León se habían registrado 542 mm el 1 de julio, aunque en todo el estado, en promedio se registró en 600 mm.[70] El pluviómetro en Estanzuela reportó 890 mm;[71] en Arroyo Seco, San Pedro Garza García, se registraron 588 mm entre el 29 de junio y las 6 a. m. del 1 de julio. Otras estaciones de Monterrey reportaron entre 359,75 mm y 691 mm de lluvia, mientras que Santa Catarina registró 591,75 mm.[72] La Comisión Nacional del Agua (Conagua) indicó que los acumulados de lluvia que dejó la tormenta excedieron largamente los producidos por el huracán Gilberto en 1988, cuando sólo cayeron 280 mm en la ciudad.[69] La histórica cantidad de agua caída provocó que varias represas se llenaran por todo el Noreste de México. En Nuevo León, Conagua comenzó descargas de 713 m³/s en las presas de La Boca, Santiago,[69] de 1648 m³/s en Cerro Prieto, Linares y de 3080 m³/s en El Cuchillo, China.[72][73] Dichas represas estaban en 98%, 114% y 124% de capacidad máxima de operación, respectivamente.[69] [74] Las descargas de agua de las represas originaron un estado de alerta en Tamaulipas, que debió hacer frente a la misma.[75]
En Coahuila, la presa La Fragua liberó 1000 m³/s hacia el Río Bravo/Grande, mientras que la presa de la Amistad alcanzaba el 119% de su capacidad operativa normal, con el consiguiente temor de que el agua rebasara el dique, posibilidad esta que fue luego descartada.[76] Sin embargo, se pusieron en marcha planes de contingencia en preparación para una crecida del río Sabinas, un tributario del Grande, y la subsiguiente crecida de éste, cuyo caudal se esperaba en unos 4000 m³/s,[76] debido al aporte de otros tributarios.[77] En al menos un punto de control, se registró que el Río Grande llevaba un caudal de 5530 m³/s.[78] La crecida del río forzó la evacuación de 40 familias en Piedras Negras[79] y el cierre de los puentes internacionales Portal a las Américas y Colombia-Solidaridad entre Nuevo Laredo, Tamaulipas y Laredo, Texas, el 8 de julio.[80] Se esperaba que los puentes estuviesen cerrados hasta el 10 de julio, al menos. En Villa de Fuente, la crecida del río Escondido, con un caudal de 650 m³/s, forzó la evacuación de unas 1000 familias.[81][78]
Las lluvias también provocaron que la presa Venustiano Carranza, en Coahuila, se llenara por completo;[82] la gran presión del agua en la presa obligó a cerrar las compuertas de la presa y se emplearon grúas para abrir doce de ellas.[82] El resto de las compuertas no pudieron abrirse por falta de suministro eléctrico, lo que generó temores de un posible desbordamiento o rotura de la presa.[83][84] El municipio de Anáhuac en Nuevo León fue evacuado luego de informes temprano el 6 de julio de que la presa se había desbordado;[85] El presidente municipal de Anáhuac afirmó que la inundación podría provocar la “destrucción total” de la ciudad.[83] El 7 de julio, cuando las descargas de agua de la presa se incrementaron a 3,300 m³/s,[86] Se informó que la ciudad estaba 3 m (9,8 pies) bajo el agua y se esperaba que hubiera más descarga.[87] Ese mismo día fueron evacuados de Anáhuac personal del Ejército Mexicano y la población carcelaria de la ciudad.[88] En San Luis Potosí, las lluvias de Alex fueron benéficas, pues provocaron incrementos en los niveles de agua de las presas de hasta 20% en zonas muy secas.[72]
Los daños asegurados causados por el viento en Alex se estiman en poco menos de 200 millones de dólares (USD de 2010). Utilizando una proporción estándar de dos a uno entre los daños asegurados y no asegurados, el daño total se estima en aproximadamente 375 millones de dólares; sin embargo, aún se desconocen los daños causados por las inundaciones.[89]
Tamaulipas
Se reportaron olas de 4 m (13,1 pies) cuando la tormenta llegó a tierra.[41] Tras tocar tierra, en Tamaulipas, un hombre de 25 años fue rescatado de un drenaje pluvial en el que había quedado atrapado.[39] 60.000 personas en San Fernando se quedaron sin electricidad,[41] al igual que toda Ciudad Victoria, Tamaulipas, la capital del estado.[90] En todo el estado, 256 mil personas se quedaron sin electricidad.[91] Fuertes vientos y lluvias derribaron vallas publicitarias y árboles en la capital, pero no se reportaron heridos en la ciudad. Se reportaron 10 pulgadas (254 mm) de lluvia en Matamoros, inundando 120 colonias, y dejando seis de las 120 bajo el agua.[90] Alrededor del 80 por ciento de Matamoros estaba bajo el agua, incluidos al menos 400 barrios, algunos inundados bajo un pie de agua,[64] obligando a 4,000 personas a buscar refugios. En Reynosa, Tamaulipas, 80 colonias se inundaron y 15 árboles fueron arrancados de raíz; en Río Bravo, Tamaulipas, siete colonias se inundaron.[92]En Nuevo Laredo, Tamaulipas, tres jóvenes fueron rescatados de un arroyo inundado.[93] El Río Conchos también se desbordó, inundando comunidades en San Fernando y Méndez. El desbordamiento del Río Grande tras las descargas de agua de Nuevo León aisló a dos comunidades en Miguel Alemán.[94] Se informó de una muerte en el estado el 7 de julio cuando un hombre murió mientras intentaba cruzar un río inundado.[95]
En todo el estado, la tormenta y las inundaciones resultantes dañaron al menos 6.000 viviendas, 202 escuelas y 500 empresas. 28 carreteras y puentes resultaron dañados.[96] Los daños materiales se estimaron en 1.084 millones de dólares (pesos mexicanos de 2010; 83.8 millones de dólares) en 19 municipios del estado, y aún se están inspeccionando los daños en municipios adicionales.[97]
Nuevo León

En Nuevo León se han confirmado quince muertos: un albañil que falleció al caerle encima una vivienda en construcción; dos hombres y una mujer que fallecieron luego de que su vehículo volcara y se estrellara contra un camión semirremolque debido a las intensas lluvias; un joven de 25 años que fue arrastrado por las fuertes corrientes y quedó aplastado contra una barda; un adulto mayor que falleció al caerle encima un muro; una mujer que falleció luego de que una gran roca proveniente de un deslave cayera sobre su casa, y un joven que cayó al Arroyo Topo Chico.[98][99][100][101] Se encontraron ocho cadáveres más después de que las aguas de la inundación comenzaron a retroceder, aunque se cree que uno de ellos fue arrastrado desde un cementerio.[102][103][104] Veinte personas en Nuevo León fueron reportadas como desaparecidas.[105]
Según la Comisión Federal de Electricidad, 4,000 clientes se quedaron sin energía eléctrica en el área metropolitana de Monterrey,[106] Al igual que 61.000 personas en todo el estado.[107] 18 pozos se quedaron sin servicio de agua, dejando a 110 mil personas en los municipios de Santa Catarina y García.[108] Fuertes inundaciones ocurrieron a lo largo del Río Santa Catarina en Monterrey, normalmente un lecho seco que desemboca en el Río Grande, provocando que alcanzara un caudal récord de 2500 m³/s.[69] El arroyo inundado arrastró varios vehículos estacionados,[109] un popular mercado de pulgas e instalaciones deportivas construidas en una vía verde junto al río;[110] mientras que destruyó alrededor de 45 kilómetros (28,0 mi) de las principales arterias viales de Monterrey.[74] Múltiples deslaves provocaron el cierre de la carretera entre Monterrey y Saltillo, Coahuila.[111] En San Nicolás de los Garza, el Arroyo Topo Chico se desbordó, obligando a múltiples cierres de calles.[112] Se produjo una explosión e incendio en un puente del municipio de Guadalupe, Nuevo León, cuando un transformador cayó sobre una tubería de gas vieja. No se reportaron heridos a causa del incendio.[109]En Linares, Nuevo León, la lluvia de los restos de Alex provocó el derrumbe de un ala del ayuntamiento, construido en 1896. El edificio fue declarado monumento histórico protegido.[113] Un puente sobre el río Pilón se derrumbó en Montemorelos, Nuevo León, rompiendo un oleoducto de 60 cm. Sin embargo, las válvulas en ambos extremos del tramo del oleoducto estaban cerradas, lo que minimizó la fuga sobre el río.[114] y no se esperaba que la fuga afectara negativamente el suministro de agua potable en la presa El Cuchillo.[115] El huracán Alex afectó la infraestructura de 1,077 escuelas del estado, de las cuales 60 sufrieron daños severos y 552 presentaron daños intermedios.[116] La interrupción en la conexión a internet y el servicio de telefonía celular a nivel nacional fue ocasionada por daños en fibras ópticas, nodos troncales de internet y centrales telefónicas en Monterrey.[117][118][119] Adicionalmente, Telefónica reportó daños en su red en Monterrey y Saltillo, ocasionando intermitencia en la disponibilidad de los servicios de telecomunicaciones.[120] Las estimaciones preliminares de los daños en el estado ascienden a 10 mil millones de dólares (pesos de 2010; 762 millones de dólares).[121]
Coahuila
En Coahuila, las lluvias de los remanentes de Alex provocaron el desbordamiento de una pequeña presa en un ejido del municipio de Castaños, lo que obligó a la evacuación de 50 personas de la cabecera municipal. La inundación resultante aumentó 1 pies (0,3 m) y dañó 15 viviendas.[122] La región carbonífera del estado quedó aislada tras el desbordamiento del río Álamos. Cientos de residentes de Nueva Rosita y Sabinas, Coahuila, fueron evacuados.[123] en el último caso, el río Sabinas se inundó hasta alcanzar un ancho de 300 m (984,3 pies), lo que provocó que entre 400 y 500 viviendas quedaran bajo el agua.[124] Algunos puentes de la Carretera Federal Mexicana 57 quedaron cubiertos de agua.[123] Miles de ciudadanos de Ciudad Acuña fueron evacuados tras la inundación del Arroyo Las Vacas tras la caída de 40 plg (1016,0 mm) de lluvia sobre las cordilleras cercanas. El arroyo dañó 1.000 viviendas, perjudicando la infraestructura urbana, los servicios de electricidad, agua y telecomunicaciones; 500 personas buscaron refugio en albergues.[125] El apagón provocó que 40 maquiladoras suspendieran sus actividades, dejando sin trabajo a 16 mil trabajadores.[126] Las lluvias provocaron daños en 15 municipios de Coahuila,[127] affecting 10,000 people,[124] y causando al menos mil millones de dólares (pesos mexicanos de 2010; 76 millones de dólares) en daños en el estado.[123]
Estados Unidos
Texas

En el sur de Texas, las bandas alimentadoras del lado norte del huracán comenzaron a producir vientos con fuerza de tormenta tropical en los condados de Cameron, Willacy y Kenedy a partir del 30 de junio. El viento sostenido más alto registrado fue de 82 km/h (51 mph) en el extremo sureste de Port Isabel. La ráfaga más fuerte se registró sobre la Calzada de la Reina Isabel, donde se registró una velocidad del viento de 106 km/h (66 mph). En Bayview se registraron vientos sostenidos de 63 km/h (39 mph) y ráfagas de 85 km/h (53 mph).[128]
Las bandas alimentadoras también produjeron fuertes lluvias, que provocaron inundaciones en South Padre Island.[129] Se reportó una marejada ciclónica de 1,1 m (3,5 pies) en la isla, lo que causó una erosión moderada de la playa. Sin embargo, se evitaron daños mayores, ya que la mayor parte de la marea de 1,2 m (4 pies) azotó South Padre y Port Isabel durante la marea baja.[130] Se confirmó que nueve tornados tocaron tierra en el estado en asociación con la tormenta, uno de los cuales volcó una casa móvil.[2][131] Otros tornados causaron principalmente daños mínimos a árboles y arbustos. Cerca de 9,000 clientes se quedaron sin electricidad en todo Texas.[128]
Grandes cantidades de precipitación cayeron en todo el Valle Bajo del Río Grande, con entre 6 y 9 pulgadas (150 a 230 mm) de lluvia registrada en toda la región.[128] El Aeropuerto de Brownsville registró 173 mm (6,80 pulgadas) de precipitación en un período de 36 horas. Los 149 mm (5,86 pulgadas) de lluvia que cayeron el 30 de junio rompieron el récord diario de precipitación de 97 mm (3,80 pulgadas) de 1995. McAllen, Texas, registró 169 mm (6,66 pulgadas) de lluvia el 30 de junio, lo que constituye el día de junio más lluvioso registrado en la ciudad.[132] En Houston, cayó más lluvia durante los dos primeros días de julio que el promedio de precipitaciones de todo el mes. Algunas zonas de la ciudad recibieron casi 300 mm (12 pulgadas) de lluvia en tres días, lo que provocó inundaciones dispersas en las calles.
Las inundaciones causadas por las lluvias de los restos de Alex hicieron que el nivel del Río Grande en Foster Ranch, en el extremo oeste de Texas, superara los 31 pies (9,4 m), muy por encima del nivel de inundación de 14 pies (4,3 m) y el nivel récord de 25,9 pies (7,9 m).[133] Combinado con las lluvias producidas por la Depresión Tropical Dos, el Río Grande estuvo bajo condiciones de inundación durante gran parte del mes de julio.[128] Se reportaron daños agrícolas por aproximadamente $10 millones (USD de 2010) en el condado Hidalgo provenientes de Alex.[2]
Consecuencias
Respuesta del gobierno
Tras el último impacto de la tormenta, la Secretaría de la Defensa Nacional de México desplegó 800 efectivos en Nuevo León y Tamaulipas, bajo el Plan DN-III-E, para apoyar las operaciones. Los efectivos implementaron la evacuación obligatoria de 3,337 residentes de San Fernando y Soto la Marina, en Tamaulipas.[134] En todo Nuevo León, 60 mil personas fueron evacuadas de sus hogares.[135] En Tamaulipas, 263,000 personas resultaron afectadas por el huracán Alex y 2,260 viviendas se inundaron. En Coahuila, 80,000 resultaron afectadas por los remanentes de Alex, dejando al 30% de los municipios del estado sin comunicación con el exterior.ref name="El Universal dam impact" /> Se estima que las pérdidas totales fueron 20.000, la mayoría en Sabinas.[136] Aproximadamente 500 mil personas resultaron afectadas por inundaciones en todo el noreste de México.[95]
La Secretaría de Gobernación declaró el estado de emergencia en 21 de los 51 municipios de Nuevo León, liberando fondos federales para desastres para su uso en operaciones de ayuda.[137] El 8 de julio otros 10 municipios fueron puestos bajo estado de emergencia.[138] Una declaratoria similar se hizo para 8 municipios de Oaxaca y para 14 municipios de Tamaulipas;[139] posteriormente el estado de emergencia en Tamaulipas se amplió a 30 municipios.[140][97] El presidente mexicano Felipe Calderón solicitó ampliar recursos al fondo federal de desastres, ya que los 3 mil millones de dólares (235 millones de dólares de 2010) con que cuenta no serían suficientes para enfrentar los daños en Coahuila, Nuevo León y Tamaulipas.[141] En los meses posteriores a la tormenta, los gobiernos federal y estatal liberaron un total de 4.8 mil millones de dólares (MXN de 2010; US$375 millones) para ayudar en la reconstrucción de las zonas de desastre en Nuevo León y Tamaulipas.[142][143] En Texas, el gobernador Rick Perry activó las capacidades estatales de búsqueda y rescate en Laredo y San Antonio. Esta activación se debió a las inundaciones en el Valle del Río Grande, que se esperaba que empeoraran debido a la aproximación de la depresión tropical Dos a la zona afectada por Alex.[144]
Incluso después de disiparse, Alex continuó causando muertes en todo México, especialmente por inundaciones. Se reportó una muerte en Tamaulipas y otra en San Luis Potosí; otras seis fallecieron en Guanajuato a causa de Alex. En Coahuila, ocho personas murieron al estrellarse una avioneta mientras inspeccionaba las descargas de agua de las presas del estado;[145] el secretario de Obras Públicas de Coahuila y el presidente municipal de Piedras Negras se encontraban entre las víctimas.[146]
Infraestructura
La tormenta causó graves daños en Nuevo León, y en particular en toda la zona metropolitana de Monterrey. El gobernador del estado, Rodrigo Medina de la Cruz, señaló que la ciudad de Monterrey se había derrumbado debido al peor fenómeno meteorológico de su historia.[147] Tan sólo en el municipio de Santa Catarina, 50 mil personas resultaron afectadas y los daños materiales se estimaron en 1.200 millones de dólares (MXN de 2010; US$93.5 millones).[148] Habitantes de tres colonias de García tuvieron que ser reubicados definitivamente debido a que 800 viviendas fueron destruidas; la tormenta causó daños por 900 millones de dólares (MXN de 2010; US$70 millones) en el municipio.[149] La crecida del río Santa Catarina destruyó cuatro puentes en Monterrey; al menos 60 puentes resultaron dañados en todo el estado.[147] El gobernador Medina también anunció el 3 de julio la asignación de 1.4 mil millones de dólares (pesos de 2010; 107 millones de dólares) para reparaciones en las calles arteriales de Monterrey.[150] Municipios del área metropolitana utilizaron el contraflujo durante parte de la jornada para restablecer el tránsito en tramos donde las calles arteriales que bordean el río Santa Catarina presentaron daños sólo en un sentido.[151] Se estima que las reparaciones a las principales vías de Monterrey tardarán hasta tres meses en completarse.[152]
El tráfico ferroviario en todo el estado quedó paralizado, ya que algunos puentes ferroviarios se derrumbaron y se encontraron grandes daños en el balasto de las vías en varias líneas ferroviarias.[153] Kansas City Southern Railway informó que esperaba una pérdida neta de cinco centavos por acción en sus ganancias anuales debido al paro que afectó a su filial mexicana. Posteriormente, la compañía reportó una disminución de $33 millones (USD de 2010) en ingresos debido a los daños causados por el huracán.[154] Los daños a la infraestructura ferroviaria provocaron escasez de repuestos para automóviles en toda Norteamérica. General Motors se vio obligada a cancelar turnos en sus plantas de Michigan, Misuri y Kansas. Ford también suspendió la producción en su planta de ensamblaje de Oakville, Ontario, y sufrió retrasos de dos semanas en las entregas de su modelo Fiesta en EE. UU. debido a los daños en las vías del tren.[155][156] Los daños al sistema carretera paralizaron una ruta utilizada por el 40% del comercio entre Estados Unidos y México, ya que 22 mil camiones quedaron detenidos tras los daños en la carretera Nuevo Laredo-Monterrey.[157]
Alex destruyó la infraestructura de agua potable en partes de Nuevo León, causando una escasez generalizada de agua. Los daños a la infraestructura hídrica se describieron como de una magnitud inesperada,[152] dejando a 160,000 personas sin agua una semana después de que la tormenta tocara tierra.[152] El agua estancada tras las lluvias generó preocupación por brotes de diversas enfermedades, incluido el cólera. Por consiguiente, se advirtió a la población que hirviera o desinfectara el agua para prevenir enfermedades. En las zonas donde el impacto de la tormenta dificultó hervir el agua debido a la falta de gas o estufas, se distribuyeron 70.000 frascos con plata coloidal. Además, se iniciaron análisis de laboratorio de desechos de personas con enfermedades gastrointestinales como medida de precaución para identificar brotes de cólera y otras enfermedades,[158] y se administraron más de 82.000 vacunas en toda la región.[159] Tras el paso de la tormenta, la PROFECO anunció multas de hasta 2.5 millones de dólares (2010 pesos mexicanos; 191,000 dólares estadounidenses) a los comerciantes culpables de manipulación de precios en la venta de agua embotellada. Esto ocurrió después de que la agencia recibiera quejas de sobreprecios del 1500% en comparación con el precio del agua embotellada antes de la tormenta.[160] El 7 de julio, la agencia anunció que había aplicado sanciones a 20 empresas que cobraron de más por el agua embotellada.[161]
Efectos económicos y ambientales
Según estimaciones de la Secretaría de Agricultura, Ganadería, Desarrollo Rural, Pesca y Alimentación (SAGARPA), 203 mil 800 ha de tierras agrícolas resultaron dañadas por Alex en el noreste de México, lo que corresponde al 11% del total de tierras agrícolas de Tamaulipas, Nuevo León y Coahuila.[162] La mayor parte de los daños agrícolas se registraron en Tamaulipas, donde se dañaron 110 mil hectáreas (270 mil acres) de sorgo y 80 mil hectáreas (200 mil acres) de maíz, lo que corresponde al 15.6% de la superficie agrícola del estado y al 76% de la cosecha estatal de maíz; también se dañaron 700 hectáreas (1700 acres) de toronja y limón, lo que corresponde al 15% de la producción estatal de cítricos.[163] En Nuevo Laredo también se perdieron dos mil cabezas de ganado.[162] En Nuevo León y Coahuila los mayores daños fueron en la ganadería; en Nuevo León se perdieron 3 mil 645 cabezas de ganado vacuno, 3 mil 580 caprino, 7 mil 265 ovinos y 194 caballos, mientras que en Coahuila murieron 3 mil 709 caprinos, 258 bovinos y 56 ovinos.[164]
La tormenta también afectó el comercio en toda la región. La Secretaría de Economía de México calculó que Alex afectó a 2,500 pequeñas y medianas empresas en Nuevo León, 500 en Tamaulipas y entre 500 y 700 en Coahuila.[165] En Monterrey, la sección local de la Confederación de Cámaras Nacionales de Comercio informó que, en los dos primeros días tras el paso del huracán Alex, los negocios de la ciudad perdieron $750 millones (MXN de 2010; US$58 millones). En total, se estima que las pérdidas comerciales a causa del huracán Alex ascenderán a aproximadamente $2 mil millones (MXN de 2010; US$156 millones).[166]
Al retirarse las aguas del río Pesquería en Escobedo, Nuevo León, los residentes locales descubrieron los restos de un mamut de 15,000 años de antigüedad. Se cree que las aguas de la inundación transportaron los restos desde el estado de Coahuila hasta Escobedo. Los restos fueron identificados y datados por personal del Instituto Nacional de Antropología e Historia.[167]
Notas
- ↑ Todos los daños totales están valorados a partir de 2010 y en dólar estadounidense, a menos que se indique lo contrario.
Véase también
- Huracán Anita (1977) – Huracán categoría 5 que tocó tierra en el noreste de México en septiembre de 1977.
- Huracán Erika (2003) – Huracán categoría 1 que tocó tierra en algunas partes del noreste de México en julio de 2003.
- Huracán Hanna (2020) – Huracán categoría 1 que tocó tierra en algunas partes del noreste de México en julio de 2020.
Referencias
- ↑ «Saffir-Simpson Hurricane Wind Scale». National Hurricane (en inglés). Miami, Florida, Estados Unidos. Archivado desde el original el 29 de mayo de 2025. Consultado el 6 de junio de 2025.
- ↑ a b c d e f g Pasch, Richard J. (15 de diciembre de 2010). «Tropical Cyclone Report: Hurricane Alex». National Hurricane Center. Archivado desde el original el 22 de octubre de 2012. Consultado el 16 de enero de 2010.
- ↑ Mike Tichacek (15 de junio de 2010). «Tropical Weather Discussion». National Hurricane Center. Archivado desde el original el 11 de abril de 2015. Consultado el 24 de junio de 2010.
- ↑ Stewart/Landsea (20 de junio de 2010). «Tropical Weather Outlook». National Hurricane Center. Archivado desde el original el 11 de abril de 2015. Consultado el 24 de junio de 2010.
- ↑ Stacy Stewart (21 de junio de 2010). «Tropical Weather Outlook». National Hurricane Center. Archivado desde el original el 11 de abril de 2015. Consultado el 24 de junio de 2010.
- ↑ a b Brown/Blake (22 de junio de 2010). «Tropical Weather Outlook». National Hurricane Center. Archivado desde el original el 11 de abril de 2015. Consultado el 24 de junio de 2010.
- ↑ Robbie Berg (24 de junio de 2010). «Tropical Weather Outlook». National Hurricane Center. Archivado desde el original el 11 de abril de 2015. Consultado el 24 de junio de 2010.
- ↑ Avila/Blake (24 de junio de 2010). «Tropical Weather Outlook». National Hurricane Center. Archivado desde el original el 11 de abril de 2015. Consultado el 24 de junio de 2010.
- ↑ Avila/Brennan (25 de junio de 2010). «Tropical Depression Special Advisory One». National Hurricane Center. Archivado desde el original el 31 de agosto de 2010. Consultado el 22 de octubre de 2010.
- ↑ Avila/Brennan (25 de junio de 2010). «Tropical Depression Special Discussion One». National Hurricane Center. Archivado desde el original el 3 de abril de 2012. Consultado el 29 de junio de 2010.
- ↑ Jack Beven (26 de junio de 2010). «Tropical Storm Alex Discussion Three». National Hurricane Center. Archivado desde el original el 3 de abril de 2012. Consultado el 29 de junio de 2010.
- ↑ Lixion Avila (26 de junio de 2010). «Tropical Storm Alex Discussion Four». National Hurricane Center. Archivado desde el original el 3 de abril de 2012. Consultado el 29 de junio de 2010.
- ↑ Lixion Avila (26 de junio de 2010). «Tropical Storm Alex Discussion Five». National Hurricane Center. Archivado desde el original el 2 de abril de 2012. Consultado el 29 de junio de 2010.
- ↑ Michael Brennan (27 de junio de 2010). «Tropical Storm Alex Discussion Six». National Hurricane Center. Archivado desde el original el 3 de abril de 2012. Consultado el 29 de junio de 2010.
- ↑ a b Stacy Stewart (27 de junio de 2010). «Tropical Storm Alex Discussion Seven». National Hurricane Center. Archivado desde el original el 2 de abril de 2012. Consultado el 29 de junio de 2010.
- ↑ Michelle Brennan (27 de junio de 2010). «Tropical Depression Alex Discussion Eight». National Hurricane Center. Archivado desde el original el 3 de abril de 2012. Consultado el 29 de junio de 2010.
- ↑ Erick Blake (27 de junio de 2010). «Tropical Depression Alex Discussion Nine». National Hurricane Center. Archivado desde el original el 3 de abril de 2012. Consultado el 29 de junio de 2010.
- ↑ Michelle Brennan (28 de junio de 2010). «Tropical Storm Alex Discussion Thirteen». National Hurricane Center. Archivado desde el original el 4 de julio de 2010. Consultado el 29 de junio de 2010.
- ↑ Pasch/Kimberlain (29 de junio de 2010). «Tropical Storm Alex Discussion Fourteen». National Hurricane Center. Archivado desde el original el 4 de julio de 2010. Consultado el 29 de junio de 2010.
- ↑ a b BSG (29 de junio de 2010). «Tropical Storm Alex Local Statement». Brownsville, Texas National Weather Service. Archivado desde el original el 1 de julio de 2010. Consultado el 29 de junio de 2010. Error en la cita: Etiqueta
<ref>no válida; el nombre «bronws» está definido varias veces con contenidos diferentes - ↑ Richard Pasch (29 de junio de 2010). «Hurricane Alex Discussion Eighteen». National Hurricane Center. Archivado desde el original el 4 de septiembre de 2010. Consultado el 22 de octubre de 2010.
- ↑ Richard Pasch (29 de junio de 2010). «Hurricane Alex Public Advisory Eighteen». National Hurricane Center. Archivado desde el original el 13 de septiembre de 2010. Consultado el 22 de octubre de 2010.
- ↑ Avila, Lixion (30 de junio de 2010). «Hurricane Alex Discussion Twenty-one». National Hurricane Center. Archivado desde el original el 4 de julio de 2010. Consultado el 30 de junio de 2010.
- ↑ National Hurricane Center (2010). «Atlantic Storm 01L». Automated Tropical Cyclone Forecasting System Running Best Track. National Oceanic and Atmospheric Administration. Consultado el 22 de octubre de 2010.
- ↑ a b c Hernández Unzón, Alberto; Bravo Lujano, Cirilo (2010). «Reseña del huracán "Alex" del Océano Atlántico». Servicio Meteorológico Nacional. Archivado desde el original el 22 de julio de 2011. Consultado el 16 de enero de 2011.
- ↑ Pasch, Berg (30 de junio de 2010). «Hurricane Alex Landfall Statement». National Hurricane Center. Archivado desde el original el 15 de agosto de 2010. Consultado el 22 de octubre de 2010.
- ↑ Brennan (1 de julio de 2010). «Hurricane Alex Intermediate Advisory Number 22A». National Hurricane Center. Archivado desde el original el 5 de julio de 2010. Consultado el 1 de julio de 2010.
- ↑ Brennan (1 de julio de 2010). «Hurricane Alex Discussion Number 23». National Hurricane Center. Archivado desde el original el 5 de julio de 2010. Consultado el 1 de julio de 2010.
- ↑ Blake/Avila (1 de julio de 2010). «Tropical Storm Alex Intermediate Advisory Number 23A». National Hurricane Center. Archivado desde el original el 5 de julio de 2010. Consultado el 1 de julio de 2010.
- ↑ Berg (1 de julio de 2010). «Tropical Depression Alex Discussion Number 26». Archivado desde el original el 4 de julio de 2010. Consultado el 2 de julio de 2010.
- ↑ «Hurricane Alex - June 29 - July 6, 2010», www.wpc.ncep.noaa.gov (Weather Prediction Center), 17 de mayo de 2019, archivado desde el original el 21 de marzo de 2021, consultado el 8 de marzo de 2021.
- ↑ Avila - Brennan (25 de junio de 2010). Centro Nacional de Huracanes, ed. «Tropical Depression One Special Discussion Number 1» (en inglés). Consultado el 27 de junio de 2010.
- ↑ Brennan - Kimberlain (25 de junio de 2010). National Hurricane Center, ed. «Tropical Depression One Tropical Cyclone Update». Consultado el 27 de junio de 2010.
- ↑ Protección Civil de El Salvador (28 de junio de 2010). «El Director General de Protección Civil Declara Alerta Naranja a Nivel Nacional Alerta Roja en Reparto Las Cañas, Ilopango por Tormenta Tropical Alex». Consultado el 28 de junio de 2010.
- ↑ «Gov. Perry Issues Disaster Proclamation for Tropical Storm Alex» (en inglés). Consultado el 29 de junio de 2010.
- ↑ «Texas is Prepared for Hurricane Alex» (en inglés). Consultado el 30 de junio de 2010.
- ↑ Agencia Federal para el Manejo de Emergencias (29 de junio de 2010). United States Department of Homeland Security, ed. «President Declares Emergency For Texas» (en inglés). Archivado desde el original el 6 de julio de 2010. Consultado el 30 de junio de 2010.
- ↑ Roberto Aguilar Grimaldo (1 de julio de 2010). «Evacuan costas de Tamaulipas por 'Alex'». El Universal. Archivado desde el original el 3 de julio de 2010. Consultado el 1 de julio de 2010.
- ↑ a b c Julio Manuel L. Guzmán (1 de julio de 2010). «Tamaulipas suspende clases por 'Alex'». El Universal. Archivado desde el original el 3 de julio de 2010. Consultado el 30 de junio de 2010.
- ↑ «Alerta máxima en Tamaulipas por Alex». El Universal. EFE. 30 de junio de 2010. Archivado desde el original el 4 de julio de 2010. Consultado el 1 de julio de 2010.
- ↑ a b c d Roberto Aguilar (1 de julio de 2010). «Furia de “Alex” obliga a miles a dejar su hogar». El Universal. Consultado el 1 de julio de 2010.
- ↑ Juan Cedillo (30 de junio de 2010). «Nuevo León suspende clases por 'Alex'». El Universal. Archivado desde el original el 4 de julio de 2010. Consultado el 01 de julio de.
- ↑ Redacción (30 de junio de 2010). «Anuncian Universidades de Monterrey suspensión de clases por "Alex"». Milenio. Consultado el 1 de julio de 2010.
- ↑ Redacción (fecha). «Desalojaremos a las personas en lugares de riesgo: Rodrigo Medina». Milenio. Consultado el 1 de julio de 2010.
- ↑ Hilda Fernández Valverde (30 de junio de 2010). «Habrá clases en Coahuila, pese a Alex». El Universal. Archivado desde el original el 9 de octubre de 2012. Consultado el 1 de julio de 2010.
- ↑ «Huracán Alex toca tierra en Tamaulipas». El Universal. EFE, Notimex. 1 de julio de 2010. Archivado desde el original el 4 de julio de 2010. Consultado el 1 de julio de 2010.
- ↑ Redacción (22 de junio de 2010). ObservadorDigital.com, ed. «Dominicana: Evacuan por lluvias a 3.000 personas». Consultado el 27 de junio de 2010.
- ↑ «Diariolibre.com». Archivado desde el original el 19 de julio de 2011. Consultado el 4 de julio de 2010.
- ↑ «Elnuevodiario.com». Archivado desde el original el 19 de abril de 2016. Consultado el 4 de julio de 2010.
- ↑ Clavedigital.com
- ↑ «Listindiario.com». Archivado desde el original el 29 de junio de 2010. Consultado el 4 de julio de 2010.
- ↑ Staff Writer (22 de junio de 2010). «Dominican Republic evacuates 3,000 in heavy rains». Associated Press. Archivado desde el original el 9 de noviembre de 2012. Consultado el 24 de junio de 2010.
- ↑ Redacción (24 de junio de 2010). Associated Press, ed. «Small-scale flooding reported in northwest Haiti» (en inglés). Consultado el 27 de junio de 2010.
- ↑ Jamaica Observer (24 de junio de 2010). «Flash flood warning extended across Jamaica» (en inglés). Archivado desde el original el 19 de enero de 2012. Consultado el 27 de junio de 2010.
- ↑ Corresponsales (28 de junio de 2010). «Alex strengthens into tropical storm, kills 10 in Nicaragua, Guatemala and El Salvador». news.com.au (en inglés). AFP. Archivado desde el original el 29 de junio de 2010. Consultado el 30 de junio de 2010.
- ↑ The Mercury (28 de junio de 2010). «Hurricane Alex moves into Gulf of Mexico, will bypass BP spill area» (en inglés). Archivado desde el original el 1 de marzo de 2012. Consultado el 29 de junio de 2010.
- ↑ «Clima extremo en la región caribeña». La Estrella (Panamá). EFE. 2 de junio de 2010. Archivado desde el original el 7 de julio de 2010. Consultado el 2 de junio de 2010.
- ↑ Redacción (29 de junio de 2010). «Texas se alista ante arribo de "Alex"». El Universal. Archivado desde el original el 5 de julio de 2010. Consultado el 1 de julio de 2010.
- ↑ a b c d «Huracán 'Alex' avanza hacia la costa noreste de México». Noticieros Televisa. EFE. 30 de junio de 2010. Archivado desde el original el 2 de julio de 2010. Consultado el 1 de julio de 2010.
- ↑ Redacción (1 de julio de 2010). «Huracán Alex toca tierra en México». BBC Mundo. Consultado el 1 de julio de 2010.
- ↑ Brian K. Sullivan; Yee Kai Pin (2 de julio de 2010). «Storm Alex Downgraded as It Dissipates Over Mexican Mountains». Bloomberg Businessweek. Consultado el 2 de julio de 2010.
- ↑ Redacción (27 de mayo de 2010). «Gulf oil spill now largest offshore spill in history as BP continues plug effort». USA Today (en inglés). Consultado el 9 de junio de 2010.
- ↑ a b EFE Miami (fecha). «Oleadas de marea negra llegaron a Florida impulsadas por el huracán Alex». Crónica. Consultado el 2 de julio de 2010.
- ↑ a b Redacción (1 de julio de 2010). «Alex weakens, but rain pounds coast—Matamoros, Mexico, 'is practically under water,' official says». msnbc.com (en inglés). Consultado el 1 de julio de 2010.
- ↑ «Alex spreads tar balls, oily water along Gulf». msnbc.com (en inglés). 30 de junio de 2010. Consultado el 2 de julio de 2010.
- ↑ a b c Y. Rodríguez; Ó. Gutiérrez (30 de junio de 2010). «"Alex" pegará como huracán a Tamaulipas». El Universal. Consultado el 1 de julio de 2010.
- ↑ Óscar Gutiérrez (30 de junio de 2010). «Alex deja deslaves e inundaciones en Chiapas». El Universal. Consultado el 1 de julio de 2010.
- ↑ Adriana Covarrubias (30 de junio de 2010). «Álex deja tres muertos en Acapulco». El Universal (Mexico). Consultado el 1 de julio de 2010.
- ↑ a b c d e Comisión Nacional del Agua (1 de julio de 2010). «Alex provocó lluvias torrenciales superiores a las de Gilberto, en 1988». Secretaría del Medio Ambiente y Recursos Naturales. Archivado desde el original el 25 de julio de 2011. Consultado el 2 de julio de 2010.
- ↑ Staff writer (4 de julio de 2010). «Se registró hasta 890 milímetros de lluvia». Milenio. Consultado el 4 de julio de 2010.
- ↑ Comisión Nacional del Agua. «Conagua trabaja permanentemente para atender los estragos del huracán Alex». Secretaría del Medio Ambiente y Recursos Naturales. Archivado desde el original el 25 de julio de 2011. Consultado el 11 de julio de 2010.
- ↑ a b c Comisión Nacional del Agua. «Conagua abre tres compuertas de la presa El Cuchillo para evitar desbordamientos». Secretaría del Medio Ambiente y Recursos Naturales. Archivado desde el original el 25 de julio de 2011. Consultado el 3 de julio de 2010.
- ↑ Comisión Nacional del Agua (3 de julio de 2010). «Conagua contribuirá, a través del Fonden, en la reconstrucción de la infraestructura hidráulica dañada en Nuevo León». Secretaría del Medio Ambiente y Recursos Naturales. Archivado desde el original el 25 de julio de 2011. Consultado el 5 de julio de 2010.
- ↑ a b Daniela Mendoza; Brígido Aguilar (3 de julio de 2010). «Tras los destrozos, ahora empieza la reconstrucción». Telediario (Grupo Multimedios). Archivado desde el original el 6 de julio de 2010. Consultado el 3 de julio de 2010.
- ↑ Staff writer (5 de julio de 2010). «Mantiene Tamaulipas alerta por desfogue de presas de NL». Milenio. Consultado el 6 de julio de 2010.
- ↑ a b Fernández Valverde, Hilda (5 de julio de 2010). «Descartan desborde de presa La Amistad». El Universal. Consultado el 6 de julio de 2010.
- ↑ Coronado, Raúl (5 de julio de 2010). «CNA mantiene alerta por crecida del Río Sabinas y el Río Bravo». Milenio. Consultado el 6 de julio de 2010.
- ↑ a b Rodríguez, Josué (7 de julio de 2010). «Amargos Recuerdos: Se desborda Río Escondido». Vanguardia. Archivado desde el original el 10 de julio de 2010. Consultado el 8 de julio de 2010.
- ↑ Rodríguez, Josué (6 de julio de 2010). «Aumenta el nivel del río Bravo en Coahuila; evacúan a nigropetenses». Vanguardia. Archivado desde el original el 10 de julio de 2010. Consultado el 6 de julio de 2010.
- ↑ Otero, Silvia (8 de julio de 2010). «Cierran dos puentes transfronterizos en Laredo». El Universal. Consultado el 8 de julio de 2010.
- ↑ Rodríguez, Josué (6 de julio de 2010). «Ordenan la evacuación de familias en Villa de Fuente, Coahuila». Vanguardia. Consultado el 8 de julio de 2010.
- ↑ a b Cantú, Francisco Javier (6 de julio de 2010). «Evacuarán a gente en Anahuac, NL». Milenio. Consultado el 6 de julio de 2010.
- ↑ a b Cantú, Francisco Javier (6 de julio de 2010). «Tras desbordarse presa Anáhuac desaparecería». Milenio. Consultado el 6 de julio de 2010.
- ↑ Vargas, Jorge (6 de julio de 2010). «Mexican town evacuated amid fears dam will burst». Associated Press. Archivado desde el original el 6 de julio de 2010. Consultado el 6 de julio de 2010.
- ↑ Cantú, Francisco Javier (6 de julio de 2010). «Evacuan municipio de Anáhuac NL». Milenio. Consultado el 6 de julio de 2010.
- ↑ García, Luis (7 de julio de 2010). «Hoy, quedarán abiertas las 26 compuertas de la Presa: CNA». Telediario (Grupo Multimedios). Consultado el 8 de julio de 2010.
- ↑ Mendoza, Daniela (7 de julio de 2010). «Permanecen viviendas en Anáhuac bajo tres metros de agua». Milenio. Consultado el 8 de julio de 2010.
- ↑ Staff writer (7 de julio de 2010). «Evacuan a militares y a reos de Anáhuac». Telediario (Grupo Multimedios). Consultado el 8 de julio de 2010.
- ↑ Hwang, Inyoung (1 de julio de 2010). «Tropical Storm Alex May Cost Insurers Less Than $200 Million, Modeler Says». Consultado el 2 de julio de 2010.
- ↑ a b Guzmán, Julio Manuel L. (1 de julio de 2010). «'Alex' deja caos en Tamaulipas». El Universal. Consultado el 1 de julio de 2010.
- ↑ Staff writer (1 de julio de 2010). «Deja Alex 256 mil personas sin luz en Tamaulipas». Milenio. Consultado el 1 de julio de 2010.
- ↑ Staff writer (1 de julio de 2010). «Alex provoca inundaciones en 80 colonias de Reynosa». Milenio. Consultado el 1 de julio de 2010.
- ↑ Staff writer (2 de julio de 2010). «Huracán Alex deja daños en frontera norte y zona centro». Milenio. Consultado el 2 de julio de 2010.
- ↑ Aguilar Grimaldo, Roberto (6 de julio de 2010). «Lluvias incomunican comunidades en Tamaulipas». El Universal. Consultado el 24 de julio de 2010.
- ↑ a b Staff writer (8 de julio de 2010). «Desfogan presas y ahogan a pueblos». El Universal. Consultado el 8 de julio de 2010.
- ↑ Staff writer (21 de julio de 2010). «Gobernador da a conocer afectaciones de Alex a Felipe Calderón». Milenio. Consultado el 23 de julio de 2010.
- ↑ a b Escamilla Martínez, Josué (17 de julio de 2010). «Más de mil mdp daño preliminar por "Alex": EHF». El Diario (Ciudad Victoria, Tamaulipas). Consultado el 18 de julio de 2010.
- ↑ Staff writer (1 de julio de 2010). «Cobra "Alex" hasta el momento siete muertos en NL». Milenio. Consultado el 2 de julio de 2010.
- ↑ «En Monterrey suman dos muertos por Alex». Milenio. Notimex. 1 de julio de 2010. Consultado el 2 de julio de 2010.
- ↑ Staff writer (1 de julio de 2010). «Cobra "Alex" hasta el momento seis muertos en NL». Telediario (Grupo Multimedios). Consultado el 2 de julio de 2010.
- ↑ «Lluvias por huracán Alex provocan cuatro muertes en Nuevo León». Milenio. Notimex. 30 de junio de 2010. Consultado el 1 de julio de 2010.
- ↑ Roberto Reyes; Ricardo Alanís; José Brígido Aguilar (4 de julio de 2010). «Hallan 2 muertos más por causa del huracán». Milenio. Consultado el 4 de julio de 2010.
- ↑ Martínez, Agustín (6 de julio de 2010). «Hallan dos cadáveres; van 12 víctimas de Alex». Milenio. Consultado el 6 de julio de 2010.
- ↑ Martínez, Agustín (6 de julio de 2010). «Iguala Alex a Emily en víctimas: ya lleva 15». Milenio. Consultado el 6 de julio de 2010.
- ↑ Staff writer (3 de julio de 2010). «Ocho muertos y 20 desaparecidos por Alex en NL». El Universal. Consultado el 3 de julio de 2010.
- ↑ «Más de 4 mil usuarios sin energía eléctrica: CFE». El Universal. Notimex. 1 de julio de 2010. Consultado el 1 de julio de 2010.
- ↑ Staff writer (1 de julio de 2010). «Hace Medina recuento de daños por Alex». Milenio. Consultado el 1 de julio de 2010.
- ↑ Staff writer (1 de julio de 2010). «Solicita gobierno de NL declarar zona de desastre por Alex». Milenio. Notimex. Consultado el 1 de julio de 2010.
- ↑ a b «Arrastra autos y puestos crecida de río Santa Catarina en NL». Telediario (Grupo Multimedios). Notimex. 1 de julio de 2010. Consultado el 1 de julio de 2010.
- ↑ Staff writer (2 de julio de 2010). «Sufre Nuevo León estela de destrucción de Alex». Milenio. Consultado el 23 de julio de 2010.
- ↑ Staff writer (1 de julio de 2010). «Cierran por deslaves autopista Monterrey-Saltillo». Telediario (Grupo Multimedios). Consultado el 1 de julio de 2010.
- ↑ Staff writer (1 de julio de 2010). «Se desborda arroyo el Topo Chico». Telediario (Grupo Multimedios). Consultado el 2 de julio de 2010.
- ↑ Mendoza Lemus, Gustavo (7 de julio de 2010). «“Linares ya había recibido advertencias”». Milenio. Consultado el 8 de julio de 2010.
- ↑ Casas, David (3 de julio de 2010). «Derrame petrolero en municipio de Montemorelos por las lluvias». La Crónica de Hoy (Mexico City). Consultado el 8 de julio de 2010.
- ↑ García, Luis (7 de julio de 2010). «Descartan contaminación de agua por petróleo en río Pilón». Milenio. Consultado el 8 de julio de 2010.
- ↑ «Recibe NL 282 mdp para la reconstrucción de escuelas». Milenio. 17 de julio de 2010. Consultado el 17 de julio de 2010.
- ↑ «Problemas de Acceso a Internet en México provocados por el Huracán Alex». 2 de julio de 2010. Consultado el 4 de julio de 2010.
- ↑ «Sin servicio de celular más de 18 mil usuarios de la Región Carbonífera». Consultado el 4 de julio de 2010.
- ↑ «Alex afecta a Axtel a nivel nacional». Consultado el 4 de julio de 2010.
- ↑ Staff writer (2 de julio de 2010). «Alex afecta comunicaciones de Telefónica». Milenio. Consultado el 2 de julio de 2010.
- ↑ «Reconstrucción en NL costaría 10 mil mdp, afirma gobernador». Telediario (Grupo Multimedios). Notimex. 4 de julio de 2010. Consultado el 4 de julio de 2010.
- ↑ Fernández Valverde, Hilda (5 de julio de 2010). «Alerta en Coahuila por desborde de represa». El Universal. Consultado el 6 de julio de 2010.
- ↑ a b c Fernández, Hilda (5 de julio de 2010). «Alex deja daños por más de mil mdp en Coahuila». El Universal. Consultado el 6 de julio de 2010.
- ↑ a b Jesús Peña; Violeta Rodríguez; Josué Rodríguez; Mayté Parro (6 de julio de 2010). «Sufren en Coahuila 10 mil damnificados». Vanguardia (Saltillo). Consultado el 6 de julio de 2010.
- ↑ Staff writer (6 de julio de 2010). «Sale caro ‘Alex’ a Coahuila». Vanguardia (Saltillo). Consultado el 6 de julio de 2010.
- ↑ Josué, Rodríguez (6 de julio de 2010). «Desbordamientos afectan a Ciudad Acuña». Vanguardia (Saltillo). Consultado el 6 de julio de 2010.
- ↑ «Coahuila: Estiman daños por 400 mdp tras Alex». El Universal. 3 de julio de 2010. Consultado el 3 de julio de 2010.
- ↑ a b c d National Climatic Data Center (30 de junio de 2010). «Event Record Details: Hurricane Alex». National Oceanic and Atmospheric Administration. Consultado el 26 de octubre de 2010.
- ↑ Moore, Jennifer (30 de junio de 2010). «Alex Hits South Texas». Eyewitness News 9. Archivado desde el original el 18 de julio de 2011. Consultado el 1 de julio de 2010.
- ↑ Brownsville Weather Forecast Office (25 de agosto de 2010). «Alex Spares the Valley Early Season Disaster». National Weather Service. Archivado desde el original el 25 de noviembre de 2011. Consultado el 6 de septiembre de 2010.
- ↑ «Yesterday's Storm Report (1200 UTC – 1159 UTC)». Storm Prediction Center. 30 de junio de 2010. Archivado desde el original el 21 de diciembre de 2015. Consultado el 1 de julio de 2010.
- ↑ Pydynowski, Kristina (1 de julio de 2010). «Alex Slams South Texas with Flooding Rain, Wind, Tornadoes». AccuWeather. Archivado desde el original el 4 de marzo de 2016. Consultado el 14 de septiembre de 2010.
- ↑ Water, NWS. «Rio Grande at Foster Ranch». National Weather Service. National Oceanic and Atmospheric Administration. Archivado desde el original el 25 de julio de 2011. Consultado el 3 de julio de 2010.
- ↑ Staff writer (1 de julio de 2010). «El huracán Alex deja más lluvia que Gilberto: Conagua». CNN. Archivado desde el original el 8 de junio de 2011. Consultado el 16 de enero de 2011.
- ↑ Staff writer (2 de julio de 2010). «Más de 60,000 personas fueron evacuadas por Alex en Nuevo León». CNN. Archivado desde el original el 4 de julio de 2010. Consultado el 2 de julio de 2010.
- ↑ «Lluvias dejan 80 mil damnificados en Coahuila». El Universal. EFE. 8 de julio de 2010. Archivado desde el original el 11 de julio de 2010. Consultado el 8 de julio de 2010.
- ↑ Gómez, Ricardo (2 de julio de 2010). «Declaran emergencia para 21 municipios de NL». El Universal. Archivado desde el original el 5 de julio de 2010. Consultado el 2 de julio de 2010.
- ↑ Staff writer (7 de julio de 2010). «Declaran emergencia para 10 municipios más de NL». El Universal. Archivado desde el original el 11 de julio de 2010. Consultado el 8 de julio de 2010.
- ↑ Staff writer (2 de julio de 2010). «Segob declara emergencia en Oaxaca». El Universal. Archivado desde el original el 5 de julio de 2010. Consultado el 2 de julio de 2010.
- ↑ Jiménez, Horacio (5 de julio de 2010). «Segob declara emergencia para municipios de Tamaulipas». El Universal. Archivado desde el original el 8 de julio de 2010. Consultado el 6 de julio de 2010.
- ↑ Ramos, Jorge (22 de julio de 2010). «FCH: falta dinero para desastres». El Universal. Archivado desde el original el 22 de julio de 2010. Consultado el 23 de julio de 2010.
- ↑ Government of Mexico (3 de septiembre de 2010). «México: Se autorizan 3,802.3 millones de pesos del FONDEN para los 49 municipios de Nuevo León». ReliefWeb. Archivado desde el original el 28 de agosto de 2023. Consultado el 21 de julio de 2011.
- ↑ Government of Mexico (10 de agosto de 2010). «México: Se autorizan 206 MDP del FONDEN para 19 municipios de Tamaulipas». ReliefWeb. Archivado desde el original el 28 de agosto de 2023. Consultado el 21 de julio de 2011.
- ↑ «Gov. Perry Activates State Resources as Flooding Threatens South Texas». Office of the Governor Rick Perry. 7 de julio de 2010. Archivado desde el original el 23 de octubre de 2012. Consultado el 8 de julio de 2010.
- ↑ Roberto Aguilar (8 de julio de 2010). «"Alex" deja estela de muerte y destrucción». El Universal. Archivado desde el original el 11 de julio de 2010. Consultado el 8 de julio de 2010.
- ↑ Fernández, Hilda (7 de julio de 2010). «Muere edil de Piedras Negras en accidente aéreo». El Universal. Archivado desde el original el 10 de julio de 2010. Consultado el 8 de julio de 2010.
- ↑ a b Staff writer (2 de julio de 2010). «Monterrey, la tercera mayor ciudad mexicana, colapsada por fuertes lluvias». EFE. Archivado desde el original el 5 de julio de 2010. Consultado el 8 de julio de 2010.
- ↑ Sandoval, Verónica (7 de julio de 2010). «Santa Catarina: el más afectado por "Alex"». Milenio. Archivado desde el original el 4 de febrero de 2023. Consultado el 8 de julio de 2010.
- ↑ Sandoval, Verónica (7 de julio de 2010). «Daños en García llegan a los 900 mdp». Telediario (Grupo Multimedios). Archivado desde el original el 12 de julio de 2010. Consultado el 8 de julio de 2010.
- ↑ Ramos Pérez, Jorge (3 de julio de 2010). «Cerca de 7 mil evacuados en NL: Gobernador». El Universal. Archivado desde el original el 6 de julio de 2010. Consultado el 3 de julio de 2010.
- ↑ Staff writer (5 de julio de 2010). «Cambia en Guadalupe circulación de Ave. Constitución». Telediario (Grupo Multimedios). Archivado desde el original el 22 de julio de 2011. Consultado el 16 de enero de 2011.
- ↑ a b c Gil, Inma (6 de julio de 2010). «El huracán Alex se fue pero Monterrey sigue sufriéndolo». BBC Mundo. Archivado desde el original el 7 de julio de 2010. Consultado el 8 de julio de 2010.
- ↑ García, Luis (7 de julio de 2010). «Detiene Alex marcha del ferrocarril en NL». Telediario (Grupo Multimedios). Archivado desde el original el 22 de julio de 2011. Consultado el 8 de julio de 2010.
- ↑ Staff writer (26 de octubre de 2010). «UPDATE 3-Kansas City Southern profit tops estimates, shares up». Reuters. Archivado desde el original el 30 de enero de 2022. Consultado el 21 de julio de 2011.
- ↑ Popa, Bogdan (17 de julio de 2010). «GM Idles 3 US Plants After Hurricane Alex Hit Mexico». Autoevolution. Archivado desde el original el 10 de junio de 2012. Consultado el 21 de julio de 2011.
- ↑ Tokic, Amy (18 de agosto de 2010). «2011 Ford Fiestas Delayed, Customers Offered $50 Gift Cards». AutoGuide. Archivado desde el original el 24 de septiembre de 2010. Consultado el 13 de septiembre de 2010.
- ↑ Staff writer (14 de julio de 2010). «US-Mexico trade hit by flooding, trucks stalled». ReliefWeb. Reuters. Consultado el 21 de julio de 2011.
- ↑ Medina de la Cruz, Rodrigo (14 de octubre de 2010). «Huracán Alex: Medidas de auxilio y normalización». Primer Informe De Gobierno. Gobierno del Estado de Nuevo León. p. 204. Archivado desde el original el 11 de agosto de 2011. Consultado el 16 de enero de 2011. «La vigilancia epidemiológica se llevó a cabo en 127 localidades. Se visitaron 62 mil 796 viviendas; en 37 mil 950 se realizaron acciones de búsqueda activa de casos. Se encuestaron 133 mil 556 personas, entre las cuales se hallaron 334 casos de diarrea; los análisis resultaron negativos a cólera.»
- ↑ «Refuerzan vigilancia epidemiológica por Alex». Telediario (Grupo Multimedios). Notimex. 23 de julio de 2010. Archivado desde el original el 22 de julio de 2011. Consultado el 24 de julio de 2010.
- ↑ «Multas millonarias a quien encarezca agua en NL». El Universal. Notimex. 5 de julio de 2010. Archivado desde el original el 8 de julio de 2010. Consultado el 6 de julio de 2010.
- ↑ Zúñiga, Francisco (7 de julio de 2010). «Sanciona Profeco a cerca de 20 empresas por subir precios en agua». Telediario (Grupo Multimedios). Archivado desde el original el 10 de julio de 2010. Consultado el 8 de julio de 2010.
- ↑ a b Staff writer (17 de julio de 2010). «Daña 'Alex' 203 mil hectáreas agrícolas». El Siglo (Durango). Reforma. Archivado desde el original el 22 de julio de 2011. Consultado el 18 de julio de 2010.
- ↑ Aguilar, Roberto; Monge, Gastón (17 de julio de 2010). «"Alex" acabó con cultivos». El Universal. Archivado desde el original el 21 de julio de 2010. Consultado el 18 de julio de 2010.
- ↑ Staff writer (15 de julio de 2010). «Incalculables, daños de 'Alex' a agricultura y ganadería». Noticieros Televisa. Archivado desde el original el 19 de julio de 2010. Consultado el 18 de julio de 2010.
- ↑ Staff writer (12 de julio de 2010). «Calculan 3 mil 700 empresas afectadas por "Alex"». Telediario (Grupo Multimedios). Archivado desde el original el 22 de julio de 2011. Consultado el 24 de julio de 2010.
- ↑ «Reportan comerciantes de NL pérdidas por más de dos mil mdp». Telediario (Grupo Multimedios). Notimex. 7 de julio de 2010. Archivado desde el original el 22 de julio de 2011. Consultado el 8 de julio de 2010.
- ↑ Staff writer (5 de julio de 2010). «Encuentran mamut muerto en río Pesquería». Milenio. Archivado desde el original el 4 de febrero de 2023. Consultado el 6 de julio de 2010.
Enlaces externos
Wikimedia Commons alberga una categoría multimedia sobre Huracán Alex.- El archivo de avisos del Centro Nacional de Huracanes de Estados Unidos sobre el huracán Alex. (en inglés)
