Huracán Gilbert
| Huracán Gilbert | ||
|---|---|---|
| Huracán categoría 5 (EHSS) | ||
![]() | ||
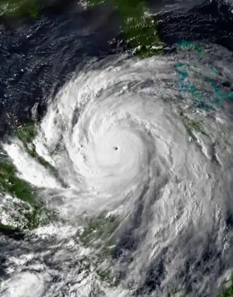
![]() El Huracán Gilbert acercándose a la península de Yucatán el 13 de septiembre de 1988. | ||
| Historia meteorológica | ||
| Formado | 3 de septiembre de 1988 | |
| Disipado | 19 de septiembre de 1988 | |
| Vientos máximos |
295 km/h (durante 1 minuto) | |
| Presión mínima | 888 hPa (La Segunda más baja en el Atlántico). | |
| Efectos generales | ||
| Víctimas mortales | 341 directos | |
| Daños totales |
$5.5 mil millones (1988 USD) $10 mil millones (2009 USD) (13 750 mil millones (2021 USD) (estimación, {{{año}}}) | |
| Áreas afectadas | Islas de Barlovento, Venezuela, Haití, República Dominicana, Jamaica, América central, México, Estados Unidos | |
| Forma parte de la Temporada de huracanes en el Atlántico de 1988 | ||
El Huracán Gilbert, también conocido como Gilberto, fue uno de los ciclones tropicales más intensos, devastadores y mortíferos registrados en el océano Atlántico durante el siglo XX por la Organización Meteorológica Mundial (OMM). En septiembre de 1988, Gilberto asoló el Caribe y el golfo de México por cerca de nueve días. En México se le conoce como el Huracán del Siglo XX[1] y en Cuba como El Huracán Asesino.[2]
Gilberto fue el huracán más intenso jamás observado en la cuenca del Atlántico, hasta que el Huracán Wilma lo superó en 2005. También es uno de los ciclones tropicales con mayor extensión de la historia; en un punto alcanzó a tener un área de 1,250 km². Gilberto continúa siendo el huracán más intenso que ha tocado tierra en México.[3][4]
Historia meteorológica
Gilberto se formó el 8 de septiembre de 1988 como la depresión tropical #12 de la temporada, cerca de las Islas de Barlovento. Al continuar su desplazamiento sobre las aguas cálidas de 27 °C del Caribe, la depresión se intensificó a tormenta tropical el 9 de septiembre, y recibió su nombre.[5] Este patrón de intensificación continuó hasta transformar al sistema en un huracán intenso (mayor a la categoría 3 en la escala de Saffir-Simpson) el 10 de septiembre, coincidiendo con el pico climatológico de actividad de las temporadas de huracanes del océano Atlántico.
El trayecto hacia Jamaica lo hizo con vientos de 200 km/h, que hacían en ese momento a Gilberto un huracán categoría 3. Fue el primer huracán en impactar directamente a Jamaica desde 1951.[5][6]
| Huracanes más intensos del Océano Atlántico | |||||
|---|---|---|---|---|---|
| Rank | Huracán | Año | Presión | ||
| hPa | inHg | ||||
| 1 | Wilma | 2005 | 882 | 26.05 | |
| 2 | 1988 | 888 | 26.23 | ||
| 3 | "Día de Trabajo" | 1935 | 892 | 26.34 | |
| 4 | Rita | 2005 | 895 | 26.43 | |
| Milton | 2024 | ||||
| 6 | Allen | 1980 | 899 | 26.55 | |
| 7 | Camille | 1969 | 900 | 26.58 | |
| 8 | Katrina | 2005 | 902 | 26.64 | |
| 9 | Mitch | 1998 | 905 | 26.73 | |
| Dean | 2007 | ||||
| Fuente: HURDAT[7] | |||||
Al alejarse de la costa de Jamaica, Gilberto comenzó de nuevo a intensificarse rápidamente. El huracán acababa de alcanzar la categoría 5 al pasar por las Islas Caimán. La intensificación de Gilberto continuó hasta alcanzar sus vientos sostenidos máximos de 296 km/h. Esto lo colocó como el segundo huracán con vientos más intensos desde que se tiene registro, solo superado por el huracán Allen con vientos de 305 km/h. Su presión mínima de 888 hectopascales, hPa se convirtió en la más baja registrada en el hemisferio occidental desde entonces hasta octubre de 2005, cuando el huracán Wilma estableció un nuevo récord con una presión de 882 hPa.
Gilberto tocó tierra por segunda ocasión el 14 de septiembre en la península de Yucatán, México, como un huracán de categoría 5 (el primer categoría cinco en alcanzar tierra firme desde el huracán David golpeó a La Española en 1979);[5][8] la presión mínima en Cozumel se estimó en 900 mbar (26.6 inHg), junto con vientos máximos sostenidos de 178 mph (287 km/h).[8] Gilberto se mantuvo por encima de la categoría 3 hasta el momento de impactar tierra por última vez cerca de La Pesca, Tamaulipas, el 17 de septiembre. Gilberto se degradó a tormenta tropical con vientos sostenidos de 100 km/h justo antes de golpear la ciudad de Monterrey, Nuevo León, donde desbordó el río Santa Catarina, además de causar graves daños por inundaciones debido a las lluvias torrenciales que dejó en todo el noreste de México. Posteriormente giró hacia Estados Unidos, en donde provocó 29 tornados en Texas y siguió degradándose hasta convertirse en depresión tropical.[5]
Preparativos

A última hora del 10 de septiembre de 1988, una advertencia de tormenta tropical fue emitida por el Centro Nacional de Huracanes para la costa sur de la República Dominicana junto a un aviso de huracán para la península de Barahona cerca del puente de Barny. El aviso de huracán para Barahona fue ascendido a una advertencia de huracán el 11 de septiembre. Más tarde ese día, las alarmas de huracán fueron publicadas para la costa sur de la República Dominicana, Jamaica y la costa sur de Cuba; el aviso de huracán en Jamaica pasó a ser una advertencia de huracán para el final del día. Las advertencias de huracán para la costa sur de Haití también se publicaron el 11 de septiembre.
El 12 de septiembre, un aviso de huracán fue emitido para las Islas Caimán y el aviso de huracán para la costa sur de Cuba se extendió hasta Cienfuegos. Esa noche, la península de Yucatán se colocó bajo aviso de huracán entre Felipe Carrillo Puerto y Puerto Progreso. Esta área incluye las ciudades turísticas de Cancún y Cozumel. Al día siguiente, los avisos de huracán fueron publicados para Pinar del Río y la Isla de la Juventud, y se colocó una advertencia de huracán para las Islas Caimán. Los avisos de huracán en el oeste Cuba y la península de Yucatán se sustituyeron por advertencias de huracán a eso de mediodía el 13 de septiembre. Como Gilberto se acercó a la península de Yucatán el 14 de septiembre, la advertencia de huracán en la región se amplió para cubrir toda la costa entre Chetumal y Champotón, mientras que un aviso de huracán fue publicada por el distrito norte de Belice.
Una vez que Gilberto entró en el golfo de México el 15 de septiembre, lo avisos de huracán fueron publicados para la parte costera entre Port Arthur y Tampico. Alrededor del mediodía de ese día, el aviso de huracán fue ascendido a una advertencia de huracán entre Tampico y Port O'Connor.
Efectos
Gilberto provocó en total 318 muertes: 202 en México, 45 en Jamaica, 30 en Haití, 12 en Guatemala, 8 en Honduras, 5 en Venezuela y la República Dominicana, 3 en Estados Unidos y 2 en Costa Rica y Nicaragua. No se tiene una cifra exacta del daño total causado por Gilberto, pero se estima que el total para todos los territorios afectados sería de 5000 millones de dólares (de 1988).
Caribe Oriental y Venezuela
Como una tormenta tropical, Gilberto trajo fuertes vientos y lluvias fuertes a muchas de las islas del Caribe oriental. En Santa Lucía, las fuertes lluvias de 330 mm provocaron inundaciones repentinas y deslizamientos de tierra, aunque no se reportaron graves daños estructurales. En el Aeropuerto Internacional Hewanorra, un dique se rompió e inundó una de las pistas de aterrizaje. En alta mar, seis pescadores desaparecieron cuando Gilberto se acercaba a las Antillas Menores. Las pérdidas de cultivos de plátano en Santa Lucía llegaron a $740.000 USD; en Guadalupe, San Vicente y Dominica se informaron daños similares. Se registraron varios deslizamientos de tierra en Dominica, aunque ningún daño se debe a ellos. Aproximadamente 130 mm de lluvia cayeron en Barbados, que causó inundaciones repentinas y obligó a las autoridades a cerrar las escuelas y oficinas de gobierno. Las Islas Vírgenes de Estados Unidos experimentaron apagones generalizados e inundaciones, los residentes estuvieron sin electricidad durante varios días. El daño fue menos severo en las cercanas Islas Vírgenes Británicas, donde solo ocurrieron algunas inundaciones y apagones. En Puerto Rico, decenas de pequeñas comunidades se quedaron sin electricidad y las pérdidas agrícolas ascendieron a $200.000 USD.
En Venezuela, las bandas externas de Gilberto produjeron lluvias torrenciales extremas que provocaron inundaciones y deslizamientos de tierra en la parte norte del país, matando a cinco personas y dejando a cientos sin hogar. Los daños causados por la tormenta se estimaron en $3 millones USD. Seis personas murieron entre Venezuela y la República Dominicana.
La Española
Las fuertes lluvias de las bandas exteriores del huracán Gilberto desencadenaron importantes inundaciones en la República Dominicana y Haití. Al menos nueve personas murieron en la República Dominicana cuando varios ríos, entre ellos el Yuna, se desbordaron. La principal estación de energía eléctrica en Santo Domingo fue dañada por la tormenta, provocando un apagón temporal de gran parte de la ciudad. Las pérdidas en el país se estimaron en millones de dólares. En la cercana Haití, sucedieron perdidas más importantes; 53 personas murieron, incluyendo 10 en alta mar. La mayoría de las muertes ocurrieron en la parte sur del país. Según informes, el puerto de Jacmel fue destruido por olas de 3,0 m. A la luz de los grandes daños, el gobierno de Haití declaró el estado de emergencia para toda la parte sur. Las pérdidas a lo largo Haití se estima en $91.2 millones USD.
Jamaica
El huracán Gilberto produjo 5,8 m de marejada y trajo hasta 823 milímetros de lluvia en las zonas montañosas de Jamaica, causando inundaciones tierra adentro donde 49 personas murieron. El primer ministro Edward Seaga declaró que las zonas más afectadas por donde Gilberto tocó tierra parecían "como Hiroshima después de la bomba atómica." La tormenta dejó 4 mil millones de dólares (1988 USD) en daños en cultivos destruidos, edificios, casas, caminos y pequeñas aeronaves. Dos personas tuvieron que ser rescatados por los deslizamientos de tierra provocados por Gilberto y fueron enviadas al hospital. Las dos personas fueron reportadas fuera de peligro. Se cancelaron todos los vuelos en Kingston, y las líneas telefónicas se saturaron de Jamaica a la Florida.
En su paso por Kingston, sus vientos derribaron líneas eléctricas, arrancó árboles de raíz, y cercados. En la costa norte, olas de 6,1 m de altura golpearon Ocho Ríos, un popular destino turístico, donde fueron evacuados los hoteles. El aeropuerto de Kingston informó de graves daños a sus aviones, y todos los vuelos con destino a Jamaica fueron cancelados en el Aeropuerto Internacional de Miami. Estimaciones no oficiales afirman que al menos 30 personas perdieron la vida alrededor de la isla. El daño estimado a propiedades llegó a más de 200 millones de dólares. Más de 100.000 casas fueron destruidas o dañadas y los cultivos de plátano del país fueron destruidos en su mayoría. Cientos de kilómetros de carreteras y autopistas también sufrieron graves daños. Los vuelos de reconocimiento sobre zonas remotas de Jamaica informaron que el 80% de los hogares en la isla habían perdido sus techos. La industria avícola también fue aniquilada; el daño causado por la pérdida agrícola alcanzó los 500 millones de dólares (1988 USD). El huracán Gilberto continúa siendo la tormenta más destructiva en la historia de Jamaica y la más severa tormenta desde el Huracán Charlie (1951).
Islas Caimán
Gilberto pasó a 48 kilómetros al sur de las Islas Caimán la mañana del 13 de septiembre. La mayor ráfaga de viento reportada fue de 253 km/h. Sin embargo, las islas escaparon de un mayor daño del huracán debido al avance rápido de Gilberto. El daño fue mitigado porque la profundidad de las aguas que rodean las islas limita la altura de la marea de tormenta a 1,5 m. Hubo daños muy graves a los cultivos, árboles, pastos, y un número de viviendas particulares. Por lo menos 50 personas se quedaron sin hogar y las pérdidas fueron de millones.
Centro América
A través del norte de América Central, las fuertes lluvias de las bandas exteriores del huracán Gilberto desencadenaron inundaciones mortales. Sus precipitaciones y fuertes vientos llegaron a Guatemala, Belice y Honduras. En Honduras, al menos ocho personas murieron y 6.000 quedaron sin hogar. Además, se inundaron aproximadamente 11 000 hectáreas de cultivos. Dieciséis personas murieron en Guatemala y otros cinco murieron en Nicaragua, dejando un total de 25 muertos en Centroamérica.
México

A las 8:00 horas del 14 de septiembre de 1988, Gilberto tocó tierra en Cozumel, Quintana Roo, con vientos sostenidos de 287 km/h, ráfagas de 340 km/h y una presión de 900 mb, que lo convierte en el huracán más intenso en tocar tierra en México. Una hora después, con la misma fuerza, hizo su contacto oficial con la península de Yucatán al norte de Playa del Carmen, Quintana Roo. A las 12:00 h se adentró al estado de Yucatán, por X-Can, comisaría de Chemax, con vientos sostenidos de 270 km/h y rachas de 320 km/h. Gilberto fue capaz de sostener la categoría 5 de la Escala de huracanes de Saffir-Simpson durante 85 km tierra adentro. A las 15:30 h avanzaba sobre la zona de Tizimín, Yucatán, debilitado a la categoría IV, con vientos sostenidos de 240 km/h, rachas de 290 km/h y una presión de 925 mb. A las 19:00 h abandonaba la península de Yucatán, por Telchac Puerto con vientos sostenidos de 185 km/h, ráfagas 220 km/h y una presión de 944 mb. La intensidad máxima del ciclón en Mérida fue con vientos sostenidos de 152 km/h y ráfagas máximas de 188 km/h, a las 21:00 h del mismo día, mientras avanzaba sobre el Golfo de México.[9]
En la península de Yucatán 35.000 personas se quedaron sin hogar y 83 barcos se hundieron. Más de 60.000 viviendas fueron destruidas, y los daños se estiman entre $1 y 2 millones de dólares (1.989 US $). En la región de Cancún, Gilberto produjo olas de 7 metros de alto, llevándose el 60% de las playas de la ciudad.; la marejada de la tormenta penetró hasta 5 km tierra adentro. Una pérdida adicional de $87 millones (1989 USD), se debe a un descenso en el turismo en los meses de octubre, noviembre y diciembre de 1988. El gobernador de Quintana Roo, Miguel Borje, informó que los daños en Cancún se estimaron en más de 1,3 millones de pesos mexicanos (1988 pesos, $500 millones en USD). Más de 5000 turistas estadounidenses fueron evacuados de Cancún. Los restos de la defoliación causada en la selva impulsaron grandes incendios en la primavera de 1989, quemando 1200 km².
En el estado de Yucatán, 6 personas perdieron la vida y 2 resultaron heridas. Varios monos y un león escaparon del Parque Zoológico La Reina de Tizimín, debido a que las fuertes rachas de viento de Gilberto derribaron sus jaulas. La comunidad de la Colonia Yucatán, en el municipio de Tizimín, fue considerada por la prensa yucateca como la población más devastada por el paso del ciclón en la región, pues destruyó el 90% de las viviendas y edificios, colapsó en su totalidad las instalaciones de su industria maderera y miles de hectáreas de cultivo. El 60% del litoral yucateco resultó gravemente dañado, debido a que el mar se unió con la ciénega en grandes extensiones. Las instalaciones de la industria salinera de Las Coloradas quedaron inservibles. El huracán derribó 1,687 postes propiedad de la Comisión Federal de Electricidad, incluidos 360 en Mérida y 100 en Progreso. 10,000 Líneas de electricidad resultaron dañadas. Las precipitaciones alcanzaron un máximo de 350 mm en Progreso.
Gilberto azotó la segunda ciudad más grande de México, Monterrey, con vientos muy fuertes, lluvias torrenciales y extensas inundaciones. 150 personas perdieron la vida en cinco autobuses mientras cruzaban el río Santa Catarina; 6 policías murieron al intentar rescatar a los pasajeros varados en los mismos. Los residentes de Monterrey se quedaron sin electricidad y agua potable, y la mayoría de las líneas telefónicas se perdieron. En Saltillo, cinco personas murieron en accidentes de tráfico causados por las fuertes lluvias, y casi 1000 se quedaron sin hogar. Las precipitaciones en el noreste de México alcanzaron un máximo de más de 250 mm en áreas localizadas al interior de Tamaulipas. En Coahuila, las precipitaciones de Gilberto causaron la muerte de 5 personas que fueron arrastrados por las aguas crecientes. Entre ellos estaban un paramédico y una mujer embarazada que murió cuando una ambulancia de la Cruz Roja Mexicana cayó en un inundado arroyo cerca de Los Chorros después de que un puente se derrumbó. Gilbert descargó lluvias torrenciales y generó algunos tornados.
Estados Unidos
A pesar de las preocupaciones de que Texas podría sufrir un golpe directo, solo hubo daños menores reportados cuando Gilberto tocó tierra a 97 kilómetros al sur de la frontera con México. Los vientos soplaron con fuerza de huracán en algunos lugares de Texas, pero el principal impacto se debió a la erosión causada por las grandes marejadas y los tornados en el área de San Antonio. Las estimaciones variaron de 30 a 60 tornados que golpearon 25 condados de Texas. Nueve de ellos golpearon San Antonio, donde una mujer de 59 años de edad murió mientras dormía en su casa móvil. 40 tornados fueron generados en un área de Corpus Christi y Brownsville al norte de San Antonio y el oeste Del Rio. Texas fue declarado zona de desastre el 5 de octubre de 1988.
Oklahoma registró las mayores precipitaciones en los Estados Unidos con 220 mm, en el refugio de vida silvestre de las montañas Wichita. Lugares aislados en Texas y Oklahoma reportaron más de 180 mm, mientras que precipitaciones moderadas de hasta 76 mm cayeron en el centro de Míchigan. El Daño general en los Estados Unidos se estima en $80 millones de dólares (1.988 USD).
Secuelas y récords
El daño a la propiedad en general se estimó en $7.1 mil millones (1988 USD). Un recuento final de víctimas del huracán Gilberto no es posible debido a que muchas personas siguen oficialmente como desaparecidas en México, pero el número total de muertos confirmados era de 433 personas. Gilberto fue el peor huracán en la historia de Jamaica y el ciclón tropical más destructivo en México. Debido a su impacto generalizado, los grandes daños y al número de víctimas, el nombre de Gilberto fue retirado en la primavera de 1989 por la Organización Meteorológica Mundial y fue el primer nombre que se retiró desde el huracán Gloria en 1985. El nombre nunca será utilizado de nuevo para cualquier otro huracán en el Atlántico. El nombre fue sustituido por Gordon durante la temporada de huracanes del Atlántico 1994.
La destrucción en Jamaica era tal, que Lovindeer, uno de los principales DJ's del país, dio a conocer un sencillo llamado Wild Gilbert unos días después del ciclón. Obtuvo el récord del reggae más vendido en la historia de la música jamaicana.[10] En 1989, la serie de PBS, Nova, lanzó el episodio "Hurricane" donde fue destacado el huracán Gilberto.
El 13 de septiembre, el huracán Gilberto alcanzó una baja presión central récord de 888 mb (hPa; 26,22 inHg), superando el mínimo anterior de 892 hPa (26.34 inHg) establecido por el Huracán del Día del Trabajo de 1935. Esto lo convirtió en el ciclón tropical más fuerte registrado en la cuenca del Atlántico norte en ese momento. Fue superado por el Huracán Wilma en 2005, que alcanzó una presión central de 882 hPa (26.05 inHg). Además de ser el huracán más destructivo en la historia de Jamaica, rompió el récord del mayor número de precipitaciones en ese país, con 700mm.
Retiro del nombre
- Como consecuencia de los daños y pérdidas humanas causadas en su trayectoria el nombre Gilbert fue retirado de la lista de nombres para huracanes en la primavera del 89 el nombre Gordon lo sustituyó en 1994.
Referencias
- ↑ «Excélsior en la Historia: Gilberto, el huracán del siglo». Excelsior. 17 de septiembre de 2013. Consultado el 30 de septiembre de 2018.
- ↑ «Los peores huracanes de los últimos 50 años». Al ritmo de los tiempos. Consultado el 21 de septiembre de 2010. «Se conoce en México como “el Huracán del Siglo XX” y en Cuba como “el Huracán Asesino”.»
Juan José Morales. «Pequeña historia de un gran huracán». Cancún, la historia.com. Archivado desde el original el 31 de julio de 2013. Consultado el 21 de septiembre de 2010. «No de balde se le llamaba ya “el huracán asesino” y “el huracán del siglo”.» - ↑ «Copia archivada». Archivado desde el original el 10 de mayo de 2015. Consultado el 2 de septiembre de 2015.
- ↑ http://www.nhc.noaa.gov/data/tcr/EP202015_Patricia.pdf
- ↑ a b c d Gil Clark (26 de octubre de 1988), Preliminary Report Hurricane Gilbert: 08–19 September 1988 (GIF), 1988 Atlantic Hurricane Season: Atlantic Storm Wallet Digital Archives, National Hurricane Center, p. 1, consultado el 4 de marzo de 2012.
- ↑ Pan American Health Organization Emergency Preparedness and Disaster Relief Coordination Program. (1999-02-20) «The Hurricane and its Effects: Hurricane Gilbert - Jamaica» (PDF). Centro Regional de Información sobre Desastres América Latina y El Caribe. Archivado desde el original el 22 de febrero de 2012. Consultado el 4 de marzo de 2012.
- ↑ «Atlantic hurricane best track (HURDAT version 2)» (Database). United States National Hurricane Center. 5 de abril de 2023. Consultado el 17 de octubre de 2024.
- ↑ a b Gil Clark (20 de agosto de 2008). «Hurricane Gilbert Preliminary Report (Page 2 - 1988)» (GIF). National Hurricane Center. Consultado el 4 de marzo de 2012.
- ↑ «Copia archivada». Archivado desde el original el 31 de julio de 2013. Consultado el 21 de septiembre de 2010.
- ↑ David Barker; David Miller (1990). Hurricane Gilbert: anthropomorphising a natural disaster 22. Kingston, Jamaica: University of the West Indies. JSTOR 20002812.
Enlaces externos
- TPC NHC Huracán Gilberto (NOAA) (en inglés)
- Análisis del Huracán Gilberto (NOAA) (en inglés)

