Huracán Nate (2005)
| Nate | ||||
|---|---|---|---|---|
| Huracán categoría 1 (EHSS) | ||||
| ||||
| Historia meteorológica | ||||
| Formado | 5 | |||
| Disipado | 10 de septiembre | |||
| Vientos máximos |
150 km/h (durante 1 minuto) | |||
| Presión mínima | 979 hPa | |||
| Efectos generales | ||||
| Víctimas mortales | 22[1] | |||
Huracán Nate fue un huracán que recorrió el Océano Atlántico entre 5 y 10 de septiembre por la temporada de huracanes en Atlántico de 2005. El fenómeno fue la décima cuarta tempestad a ser nombrada aquel año y las previsiones iniciales indicaban que podría alcanzar las Bermudas, trayendo grandes perjuicios al pequeño país, lo que en verdad no aconteció. Nate pasó distante, al sur de las islas, mientras alcanzaba su fuerza máxima en la noche de 8 de septiembre. Pero, el sistema alcanzó solo el estatus de huracán de categoría 1, de más débil de entre las 5 posibles en la escala de Saffir-Simpson.
Tras moverse para lejos de las Bermudas, la tempestad entró en una región con temperaturas más bajas en la superficie del mar y cizalladura del viento desfavorable, haciéndola enflaquecerse para una temperatura tropical antes de hacerse extratropical en 10 de septiembre. El remanente extratropical fue absorbido más tarde por un sistema mayor.
El huracán no causó daños estructurales mientras era tropical, aunque haya generado corrientes de retorno, en combinación con otras tempestades, que provocaron la muerte de una persona en la costa de Nueva Jérsei. Nate fue responsable por lluvias leves y fuertes vientos en la isla de Bermuda. Los remanentes de los huracanes Nate y Maria contribuyeron para fuertes lluvias en partes de Escocia y después en Noruega Occidental, provocando un deslizamiento de tierra que mató una persona. Navíos de la Marina de Canadá en ruta para Costa de Golfo de Estados Unidos, cargando suprimentos para ayudar en el rescaldo del huracán Katrina, se atrasaron a fin de intentar evitar el mar agitado y las rajadas de viento provocadas por Nate y por el huracán Ophelia.
Historia meteorológica
Una onda tropical surgió en la costa oeste de África en 30 de agosto de 2005 y siguió una ruta en sentido oeste a través del Océano Atlántico, manteniendo una vigorosa área de convecção al largo de su eje. Dos días después de, en 1º de septiembre, la mayor parte de la convecção profunda había sido "perdida" debido a las fuerzas de cizalladura del viento que venía del suroeste. A pesar de eso, la onda permaneció bien definida y continuó siguiendo su camino en la dirección oeste-noroeste sobre las aguas del Atlántico. El sistema entonces se dividió en dos partes: la porción norte pasó entre las Islas de Barlovento y el huracán Maria en 3 de septiembre, mientras que la porción sur cambió su rumbo para el interior del Mar de Caribe. El día siguiente, la parte norte de la onda comenzó a interactuar con un sistema de baja presión de nivel superior y un cavado alargado que estaban localizados entre las Bermudas y las islas de Barlovento;[2] exactamente el mismo cavado que contribuyó para el desarrollo del huracán Ophelia.[3] Como resultado de la poca cizalladura del viento, la convección se volvió a desarrollar y organizó a lo largo del eje de las olas. Bandas convectivas se formaron en torno a una amplia superficie de baja presión. Se estima que el sistema se hizo desarrollado el bastante para ser considerado una depresión tropical a las 18:00 UTC de 5 de septiembre, en el momento en que estaba localizado a aproximadamente 560 kilómetros al sur-suroeste de las Bermudas.[2]

Después de ser designado depresión tropical Quince, el sistema desarrolló una conveción profunda en su parte este, próximo al ojo de la formación, al tiempo que quedaba cada vez más organizado.[4] Más tarde, en 5 de septiembre, el patrón global de las nubes mejoró, mientras la actividad de la tempestad se condensaba y se profundizaba en el interior del área de circulación cada vez más bien definida.[5] Sólo seis horas tras ser designado como depresión tropical, el ciclón se intensificó y alcanzó el estatus de tempestad tropical, que recibió el nombre de Nate por el Centro Nacional de Huracanes (National Hurricane Center) de Estados Unidos. Durante los dos días siguientes, Nate se movió lentamente para el nordeste en dirección a las Bermudas.[2]
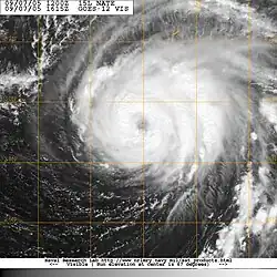
En las primeras horas de 6 de septiembre, Nate se hizo casi estacionario entre el huracán María y una perturbación sobre las Bahamas.[6] Las imágenes de satélite indicaron que el patrón de nubes continuaba a organizarse, con excelente flujo de salida en torno a la tempestad.[7] En la noche de aquel mismo día, el desarrollo de un ojo bien delimitado se hizo evidente.[8] La tempestad tropical Nate ganó más fuerza y se hizo un huracán a las 12:00 UTC de 7 de septiembre, cuando comenzó a alejarse de las Bermudas.[2] Algunos modelos indicaron que el huracán Nate sería absorbido o sufriría fusión con el huracán María, que era mayor, pero la previsión del Centro Nacional de Huracanes de que Nate iría "a sobrevivir" como un sistema separado fue a que se concretizó.[9] La gran área de baja presión que iba para el nordeste de las Bahamas gradualmente se abrió en una amplia vaguada cuando un canal de olas cortas se aproximó venida del noroeste. La vaguada mayor lentamente fue quedando alargado en su eje nordeste-suroeste en la noche de 7 de septiembre. A la vez, la vaguada de la onda se movió para el sur al largo del lado oeste de otro cavado. El creciente flujo para suroeste al largo del lado sudeste del cavado alargado hizo con que el huracán Nate acelerara su movimiento en sentido nordeste. Nate alcanzó el suyo pico de intensidad de 145 km/h en la noche de 8 de septiembre cuando pasó a 205 km a sudeste de las Bermudas, mientras sus vientos más fuertes permanecían muy lejos de cualquier región costera del continente.[2]
Preparativos, impacto y nomenclatura

Un alerta de tempestad tropical fue emitido para las Bermudas en las primeras horas de 7 de septiembre, y más tarde, aquel mismo día, un otro alerta de tempestad y también una notificación de huracán fueron divulgados. Sin embargo, la tempestad no se aproximó de la isla y los avisos fueron cancelados el día siguiente.[2] Cuatro navíos de crucero dejaron la isla antes del horario previsto y vuelos fueron cancelados en anticipación al pasaje de Nate. A las 04:00 UTC de 8 de septiembre, el Centro Nacional de Huracanes estimó en 34% la oportunidad de Nate pasar a 121 km de la isla.[10][11]
Los rangos de nubes más periféricas de Nate llegaron a las islas Bermudas con vientos constantes de 55 km/h y trayendo muchas nubes.[2][12] Las rajadas de viento más intensas alcanzaron cerca de 80 km/h.[13] Menos de 25 mm de lluvia fue registrado en el Aeropuerto Internacional de Bermudas.[2] No hubo muertes como resultado de la tempestad en aquellas islas y ningún daño fue relatado, de modo que al referirse al pasaje del huracán por el territorio, el Servicio Meteorológico de las Bermudas afirmó: "nodos fuimos afortunados".[2] Dos navíos registraron vientos con fuerza de tempestad tropical en asociación con el fenómeno: el Maersk New Orleans, al norte del centro de la tempestad, y un navío de registro WCZ858 al este-sudeste.[2] Corrientes de retorno provocadas por Nate y por el huracán Maria, que estaba más distante, mataron una persona e hirieron otra en Nueva Jérsei; varias otras personas fueron alcanzadas por corrientes de retorno, pero consiguieron escapar sin heridas.[14] En las Carolinas, los efectos de Nate y del huracán Ophelia provocaron agitación en las aguas del mar. Una boya en la región costera del Cabo Fear, en Carolina del Norte, registró olas de hasta 3,7 metros.[15]
Referencias
- ↑ «La tormenta tropical Nate deja al menos 22 muertos en Centroamérica». El País. 6 de octubre de 2017. ISSN 1134-6582. Consultado el 3 de marzo de 2023.
- ↑ a b c d e f g h i j Stacy R. Stewart (29 de noviembre de 2005). «Hurricane Nate Tropical Cyclone Report» (PDF). National Hurricane Center. Archivado desde el original el 17 de diciembre de 2008. Consultado el 5 d e enero de 2009.
- ↑ Jack Beven and Hugh D. Cobb, III (26 de enero de 2006). «Hurricane Ophelia Tropical Cyclone Report» (PDF). National Hurricane Center. Archivado desde el original el 17 de diciembre de 2008. Consultado el 5 de enero de 2009.
- ↑ Robert Molleda and Richard Pasch (5 de septiembre de 2005). «Tropical Depression 15 Discussion Number 1». National Hurricane Center. Consultado el 5 de enero de 2009.
- ↑ Richard Knabb (5 de septiembre de 2005). «Tropical Storm Nate Discussion Number 2». National Hurricane Center. Consultado el 5 de enero de 2009.
- ↑ Stacy Stewart (6 de septiembre de 2005). «Tropical Storm Nate Discussion Number 3». National Hurricane Center. Consultado el 5 de enero de 2009.
- ↑ Lixion Avila (6 de septiembre de 2005). «Tropical Storm Nate Discussion Number 4». National Hurricane Center. Consultado el 5 de enero de 2009.
- ↑ David Roberts and Jack Beven (6 de septiembre de 2005). «Tropical Storm Nate Discussion Number 6». National Hurricane Center. Consultado el 5 de enero de 2009.
- ↑ David Roberts and Jack Beven (7 de septiembre de 2005). «Hurricane Nate Discussion Number 10». National Hurricane Center. Consultado el 5 de enero de 2009.
- ↑ Stuart Roberts (8 de septiembre de 2005). «Bermuda braces itself as Hurricane Nate moves closer». Associated Press. Archivado desde el original el 22 de octubre de 2012. Consultado el 5 de enero de 2009.
- ↑ «Flights canceled in Bermuda due to Hurricane Nate». Airline Industry Information. 8 de septiembre de 2005. Archivado desde el original el 14 de noviembre de 2012. Consultado el 5 de enero de 2009.
- ↑ Mark Guishard & Roger Williams. «The 2005 Hurricane Season in Bermuda». Bermuda Weather Service. Archivado desde el original el 5 de septiembre de 2006. Consultado el 5 de enero de 2009.
- ↑ Staff Writer (8 de septiembre de 2005). «Hurricane Nate spares Bermuda, passes well south of island». Associated Press. Archivado desde el original el 22 de octubre de 2012. Consultado el 5 de enero de 2009.
- ↑ «Rip Current Event Report for New Jersey». National Climatic Data Center. 2005. Consultado el 5 de enero de 2009.
- ↑ Bruce Smith (11 de septiembre de 2005). «Tropical Weather». The Inland Valley Daily Bulletin.
