Lámina basal
| Lámina basal | ||
|---|---|---|
![]() | ||
| Nombre y clasificación | ||
| Latín | lamina basalis | |
| TA | A15.2.03.019, A15.3.03.102%20Entity%20TA98%20EN.htm A15.2.03.007, A15.2.03.019, A15.3.03.102 | |
| TH | H2.00.00.0.00006 | |
| TH | H2.00.00.0.00006 | |
|
| ||
La lámina basal es una fina capa de matriz extracelular que separa el tejido epitelial y muchos tipos de células, como las fibras musculares o las células adiposas, del tejido conjuntivo. Suele confundirse con la membrana basal, pero en realidad forma parte de ella junto a la lámina reticular. Se encuentra constituida por proteínas fibrosas (elastina, colágeno, fibronectina), proteoglicanos y glicosaminoglucuronanos. Es de vital importancia en señalización celular la interacción que establece a través de la laminina con las integrinas.
Cuando aparece rodeando fibras musculares o adipocitos se la denomina lámina externa.
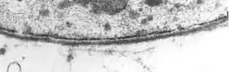
La lámina basal solo es observable con detalle a microscopio electrónico y está compuesta por una matriz electrodensa de entre 50 y 100 nm que consta a su vez de lámina lúcida y lámina densa.
- La lámina lúcida es menos electrodensa y es la primera capa en contacto con la membrana plasmática del tejido epitelial supradyadente.
- La lámina densa, más electrodensa, presenta unos delgados y pequeños filamentos de colágeno tipo IV. Esta es la más gruesa de las láminas.
Cuando hay una alteración en el crecimiento del tejido epitelial que produce la infiltración y rotura de la lámina basal se llama tumor invasivo o cáncer.
Funciones
- Sostén del epitelio.
- Filtración molecular pasiva, deja pasar determinadas moléculas, lo que adquiere especial importancia en los riñones.
- Compartimentación de tejidos y filtro celular. Los linfocitos sí pueden atravesarla pero es capaz de retener la metástasis de tumores invasores 0.
- Adhesión celular.
- Influye sobre la diferenciación de las células y sobre la reparación de tejidos desde sus células madre. Si cultivamos el epitelio en Placas de Petri tienden a formarse células planas a las que añadiendo membrana basal en el sustrato de la Placa de Petri se les induce la diferenciación.
- Encargado de filtrar las hormonas celulares a los riñones
