Aeropuerto Internacional de Pittsburgh
| Aeropuerto Internacional de Pittsburgh | |||||||||||||||||
|---|---|---|---|---|---|---|---|---|---|---|---|---|---|---|---|---|---|
| Pittsburgh International Airport | |||||||||||||||||
![]() | |||||||||||||||||
| |||||||||||||||||
| Localización | |||||||||||||||||
| Coordenadas | 40°29′46″N 80°15′24″O / 40.495997, -80.256693 | ||||||||||||||||
| Ubicación | Municipio de Moon, Estados Unidos | ||||||||||||||||
| Elevación | 366 | ||||||||||||||||
| Sirve a | Pittsburgh, Pensilvania | ||||||||||||||||
| Detalles del aeropuerto | |||||||||||||||||
| Tipo | Público/Militar | ||||||||||||||||
| Propietario | Condado de Allegheny | ||||||||||||||||
| Operador | Autoridad Aeroportuaria del Condado de Allegheny | ||||||||||||||||
| Servicios y conexiones | |||||||||||||||||
| Hub para | Southern Airways Express[1] | ||||||||||||||||
| Base para | Allegiant Air | ||||||||||||||||
| Estadísticas (2024) | |||||||||||||||||
| Operaciones Aéreas | 132,756 | ||||||||||||||||
| Volumen de pasajeros | 9,945,601 | ||||||||||||||||
| Pistas | |||||||||||||||||
| |||||||||||||||||
| Mapa | |||||||||||||||||
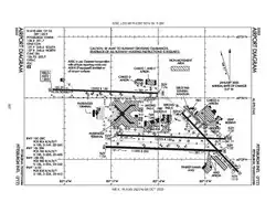
![]() PIT Localización del Aeropuerto Internacional de Pittsburgh en Pensilvania Diagrama de la FAA del aeropuerto. | |||||||||||||||||
| Sitio web | |||||||||||||||||
| flypittsburgh.com | |||||||||||||||||
|
Fuentes: FAA[2] y ACI[3] | |||||||||||||||||
El Aeropuerto Internacional de Pittsburgh (del inglés: Pittsburgh International Airport) (IATA: PIT, OACI: KPIT, FAA LID: PIT), anteriormente Aeropuerto Internacional Greater Pittsburgh, es un aeropuerto internacional civil-militar en Moon Township, Pensilvania. Es el principal aeropuerto internacional que sirve al Área metropolitana de Pittsburgh, ubicado a unas 15 km (10 millas) al oeste del centro de Pittsburgh, a una altura de 366 m (1,202 pies) sobre el nivel del mar.
Inaugurado en 1952, el aeropuerto fue inicialmente servido por cinco aerolíneas y se convirtió en un pequeño centro de conexiones de Trans World Airlines durante más de dos décadas. El aeropuerto se sometió a una reconstrucción y expansión masiva de $1 mil millones de dólares que se completó en 1992 y se convirtió en un importante centro para US Airways. El nuevo aeropuerto fue uno de los más innovadores del mundo, apodado el "aeropuerto del futuro" por el New York Times,[4] y ayudó a promover el diseño moderno del aeropuerto con su forma de X para reducir la distancia entre las puertas, el tranvía subterráneo para transportar pasajeros alrededor del aeropuerto, y una variedad de opciones de compra, todas las cuales eran de vanguardia en ese momento.[5][6]
El tráfico alcanzó un máximo de 20 millones de pasajeros a fines de la década de 1990, pero US Airways, que se encontraba en bancarrota, lo abandonó como su centro de conexiones en 2004, eliminando miles de empleos y casi arruinando el aeropuerto, que fue construido en gran medida para satisfacer las necesidades de US Airways.[7][8] El aeropuerto experimentó un resurgimiento en la década de 2010, duplicando el número de transportistas a 16, ya que la Autoridad del Aeropuerto del Condado de Allegheny cortejó agresivamente a las aerolíneas y presionó para nuevas rutas.[7] En 2017, el aeropuerto volvió a abrir el acceso a la terminal posterior a seguridad para los pasajeros que no vuelan, siempre que pasen por seguridad, convirtiéndose en el primer aeropuerto del país en hacerlo después de que el gobierno federal levantó las restricciones establecidas después del 11 de septiembre.[9] El aeropuerto es una base de mantenimiento para American Airlines.[10]
En 2017, los funcionarios locales revelaron planes para una renovación de $1.1 mil millones de dólares[11] que incluirá una nueva terminal para la documentación, seguridad y reclamo de equipaje adyacente a las puertas.[12] Se proyecta abrir en 2023.[13]
El Aeropuerto Internacional de Pittsburgh es el aeropuerto más ocupado del oeste de Pensilvania y el segundo aeropuerto más ocupado del estado, después del Aeropuerto Internacional de Filadelfia. En 2018 atendió a 9,658,897 pasajeros, un aumento del 7.5% con respecto al año anterior.
Información general
El aeropuerto está rodeado por las autopistas I-376 y Business Loop 376, que son el acceso principal para la carga y el servicio del aeropuerto, así como para otras industrias de vuelo. Es propiedad del condado y está operado por la Autoridad del Aeropuerto del Condado de Allegheny, que también opera el Aeropuerto del Condado de Allegheny. PIT es principalmente un aeropuerto de pasajeros que sirve al área metropolitana de Pittsburgh, con un promedio de 414 vuelos por día a 74 destinos en 17 aerolíneas.[14] En sus instalaciones se ubica la Estación de Reserva Aérea de Pittsburgh, una instalación combinada del Comando de Reserva de la Fuerza Aérea y la Guardia Nacional Aérea, que proporciona reabastecimiento de combustible aéreo, movilidad aérea y apoyo táctico de transporte aéreo a la Fuerza Aérea de los Estados Unidos y otras actividades del Departamento de Defensa de Estados Unidos. El aeropuerto también tiene una instalación de carga aérea y apoya las operaciones de aviación general.

PIT es el segundo aeropuerto más ocupado de pasajeros en Pensilvania y el 47.º más ocupado en los Estados Unidos, atendiendo a 9,779,024 de pasajeros en 2019. El aeropuerto tiene la segunda pista más larga de un aeropuerto comercial en Pensilvania con 3,500 m (11,500 pies), el Aeropuerto Internacional de Filadelfia tiene la pista más larga con 12,000 pies de largo. También realizó numerosas renovaciones de instalaciones a fines del siglo XX para acomodar el aumento del tráfico de pasajeros, mejorando la terminal. Hasta 2004, el segundo centro más grande de US Airways estaba en PIT. En 2010, la aerolínea siguió siendo la aerolínea más grande de PIT (manejando 26 por ciento[15] de pasajeros). El 17 de octubre de 2015, US Airways se fusionó con American Airlines para convertirse en la aerolínea más grande del mundo. La nueva American Airlines utiliza quince puertas, más que cualquier otra aerolínea en PIT.
El aeropuerto tiene vuelos a Canadá, México y Europa. Los vuelos transatlánticos sin escalas se reanudaron el 3 de junio de 2009, cuando Delta Air Lines comenzó los vuelos a París.[16] Este servicio finalizó en septiembre de 2018.[17] Otros destinos internacionales incluyen Toronto, Canadá; Montreal, Canadá; Cancún, México; Londres, Inglaterra; así como servicio estacional a Fráncfort, Alemania.
PIT ocupa 40.5 km² (10,000 acres).[2]
La Guía oficial de aerolíneas de todo el mundo incluyó a PIT en su lista de los mejores aeropuertos del mundo durante cuatro años consecutivos. El líder de investigación de mercado, JD Power and Associates, nombró a PIT entre los cinco principales aeropuertos en sus dos encuestas de satisfacción del cliente más recientes. La revista Conde Nast Traveler's clasificó a PIT como el mejor en 1999 en los Estados Unidos[18] y el tercero en el mundo en sus Premios People's Choice 2000. En 2011, Conde Nast Traveler clasificó la instalación como la séptima mejor para viajeros de negocios.[19]
Instalaciones
Pistas de aterrizaje
PIT tiene un diseño amplio y abierto y cuatro pistas, tres pistas paralelas este-oeste y una cuarta pista de viento cruzado. Las dos pistas más largas del aeropuerto son de 3,510 m (11,500 pies) y 3,280 m (10,775 pies), lo que permite a PIT acomodar los aviones más grandes. Debido al desarrollo de negocios no relacionados con la aviación en el aeropuerto, PIT puede agregar solo una pista más (este número fue tan alto como cuatro en el pasado).
Con tres pistas paralelas, se pueden realizar aterrizajes y/o salidas simultáneas en casi cualquier situación.[20]
Las pistas 10L y 10R tienen aproximaciones ILS (Sistema de aterrizaje instrumental) de Categoría III. La pista 28R está certificada para ILS de Categoría I y está autorizada para aproximaciones de Categoría II, pero requiere certificación especial de la tripulación y la aeronave. Las pistas 28L y 32 tienen aproximaciones ILS de Categoría I y las pistas 10C/28C tienen LOC/GS. Todas las pistas tienen aproximaciones GPS también.
El plan maestro de 1991 realizado durante la construcción de la nueva terminal del centro del campo para el centro de US Airways requería la eventual adición de cuatro pistas para un total de ocho. Junto con una segunda pista paralela de "viento cruzado" de 9,000 pies en la esquina suroeste del complejo, se construirían tres pistas paralelas este-oeste adicionales de 8,200 y 8,500 pies en el extremo sur del complejo con una pista de 8,200 pies en la sección noroeste.[21]
Con la última construcción en el aeropuerto, la pista 10C/28C se extendió a 10,775 pies.[22]
Terminal

El complejo del aeropuerto consta de dos edificios principales, la "Terminal Lado Tierra" y la "Terminal Lado Aire". Están vinculados por el metro subterráneo del aeropuerto de Pittsburgh después del control de seguridad. Trabaja completamente automatizado sin control humano, aparte de las emergencias.
La Terminal Lado Tierra es el edificio más cercano a las áreas de estacionamiento y el punto de entrada para pasajeros cuyos vuelos se originan en Pittsburgh. Incluye documentación, todas las áreas de reclamo de equipaje doméstico, puntos de control de seguridad y transporte terrestre como taxi, limusina y el servicio de transporte al aeropuerto 28X de la Autoridad Portuaria. El 29 de junio de 2000 se inauguró un hotel y centro de convenciones Hyatt Regency de 331 habitaciones, que se conecta directamente a la terminal a través de una pasarela móvil.[23] Varias tiendas y cafeterías ocupan la Terminal Lado Tierra, incluidos los servicios de divisas Travelmart, Sue Venir, Dunkin Donuts y Travelex. Hay mostradores de ayuda para viajeros en los niveles de tránsito y reclamo de equipaje, así como la sede de la policía del aeropuerto.
Después de pasar por el punto de control de seguridad, los pasajeros abordan uno de los dos vehículos subterráneos que viajan a la Terminal Lado Aire, donde se encuentran todas las puertas de embarque. El sistema de transporte de personas fue construido y operado por Bombardier Transportation y está completamente automatizado.
La Terminal Lado Tierra actual será reemplazada en 2023 con una terminal terrestre (estimada) de US $1,100 millones conectada directamente a la Terminal Lado Aire donde se encuentran las Salas C y D. Esto eliminará 12 puertas del aeropuerto. Esto dará como resultado la eliminación del transporte de personas y la construcción de nuevos estacionamientos.[24]
La Terminal Lado Aire consta de 75 puertas en cuatro salas; sin embargo, solo 56 puertas están disponibles para su uso.[25] El núcleo central contiene la mayoría de las tiendas del AirMall. Hay más de 100 tiendas. En el entresuelo se encuentran el Admirals Club y una capilla. También hay un Carnegie Science Center y otros sitios históricos de Pittsburgh Aviation History Displays ubicados en todo el aeropuerto. American Airlines tiene un Admirals Club en el entrepiso de la terminal aérea.[26] El Salón Club Lounge abrió en octubre de 2017 y está ubicada en la Sala C frente a la puerta C-52, cerca del núcleo central.[27]
La Sala A tiene 25 puertas. La Sala es utilizada por Air Canada, Boutique Air, Southwest, United y United Express, así como Delta para vuelos chárter y aviones con vuelo nocturno. Hay múltiples lugares de alimentos y bebidas en el vestíbulo.
La Sala B tiene 25 puertas; sin embargo, solo las puertas B26-B44 están disponibles para su uso. La Sala B es utilizada por Alaska Airlines, American, American Eagle, JetBlue, Southern Airways Express y Spirit. Varios concesionarios todavía operan en la sala.
La Sala C tiene 11 puertas. Todas las llegadas internacionales, a excepción de las ciudades con pre-despacho de aduana de los Estados Unidos, pasan por la Sala C ya que la aduana y migración se encuentran en su nivel inferior. Aunque esta es la Sala Internacional, algunos vuelos nacionales entran y salen de la Sala C. Las puertas C55 y C57 - C61 al final de la sala están designadas para acomodar el tráfico internacional. La puerta C61 incluye una pasarela de acceso a aeronaves doble para acomodar aviones de fuselaje ancho como el Airbus A380, pero había sido diseñado para el Boeing 747 de British Airways y el Airbus A330. La Sala también incluye un área de juegos infantiles y una exhibición que conmemora a Mister Rogers' Neighborhood, la serie de televisión pública de larga data que se originó en Pittsburgh.[28] La Sala C es utilizada por Allegiant Air, British Airways, Condor, Sunwing, Swift Air y Viva para todos los vuelos, así como los vuelos internacionales de Delta y de Southwest. La sala militar del aeropuerto se encuentra antes de la puerta C56.
La Sala D tiene 14 puertas; Sin embargo, solo 7 puertas están en uso. En noviembre de 2019, el aeropuerto comenzó a eliminar siete pasarelas de acceso para acomodar la eventual construcción del Programa de Modernización de la Terminal. La Sala D es utilizada por Delta, Delta Connection y Frontier.
Transporte terrestre
PIT está ubicado en la salida 53 de la carretera interestatal 376 y la ruta 576 de Western Terminus Pennsylvania (futura I-576), y dentro de 20 km (10 millas) de la carretera interestatal 79 y 24 km (15 millas) de la carretera interestatal 76, la autopista de peaje la Pennsylvania Turnpike. La Interestatal 70 al sur y la Interestatal 80 al norte están a menos de una hora de distancia. Un poco más allá de las autopistas interestatales 70 y 80, la Interestatal 77 hacia el oeste y la Interestatal 68 hacia el sur están a 90 minutos del aeropuerto.
PIT ofrece estacionamiento en el lugar operado por Grant Oliver Corporation y patrullado por la policía del condado de Allegheny. Grant Oliver ofrece el uso de una cuenta GO FAST Pass para pagar el estacionamiento electrónicamente en el aeropuerto. Los clientes de Go Fast Pass pueden registrar sus transpondedores E-Zpass para usar con el sistema, aunque Grant Oliver maneja completamente la facturación y otros aspectos del sistema.[29] Hay transportes regulares de estacionamiento a los lotes de largo plazo y extendido[30] a los que se puede acceder desde el nivel de reclamo de equipaje de la Terminal Lado tierra desde las puertas seis y ocho.
Hay tres opciones de estacionamiento: Corto plazo, Largo plazo y Extendido. El garaje a corto plazo está conectado a la Terminal Lado Tierra a través de la pasarela móvil cerrada. Hay 2,100 espacios disponibles. La sección a largo plazo también tiene acceso rápido a la pasarela cerrada. Hay 3,100 espacios disponibles aquí. La sección Extendida no tiene acceso a la pasarela cerrada, pero sí cuenta con servicios regulares de estacionamiento a los que se puede acceder desde el nivel de Reclamo de Equipaje de la Terminal Lado Tierra desde las puertas seis y ocho. Hay 8,000 espacios disponibles en el lote Extendido.[30]
El servicio de autobuses también está disponible desde el centro de Pittsburgh y el distrito universitario de la ciudad de Oakland a través de la ruta 28X de la Autoridad Portuaria del Condado de Allegheny. Gray Line de Mountain Line Transit también tiene servicio en áreas al sur de Pittsburgh, incluyendo Waynesburg, Pensilvania; Morgantown, Fairmont y Clarksburg, Virginia Occidental.[31] BCTA Transit anteriormente servía a ubicaciones al norte y al oeste desde el aeropuerto.
Otras operaciones y desarrollos inmobiliarios
Además de los vuelos comerciales, se han desarrollado otros recursos dentro y alrededor del aeropuerto. En noviembre de 2008, el aeropuerto, ayudado por los embajadores voluntarios, abrió un nuevo Centro de Comodidad Militar en la Puerta A4 para servir a los militares viajeros y sus familias. Dick's Sporting Goods construyó una nueva sede global y un hangar en el complejo del aeropuerto a principios de 2010.[32] Un importante centro logístico fue construido y abierto en 2010.[33]
Desde 1997, US Airways mantuvo su OpsCenter en el área metropolitana de Pittsburgh. Después de la fusión con America West, la aerolínea tenía dos centros con capacidad limitada (previa a la fusión), el otro era el centro heredado de America West cerca de Phoenix. Pittsburgh International ganó una competencia a tres bandas entre Phoenix y Charlotte por el nuevo centro de operaciones de última generación de las líneas aéreas combinadas.
En octubre de 2007, US Airways anunció que había seleccionado a Pittsburgh como el sitio de su nuevo centro de operaciones de vuelo de 5,600 m² (60,000 pies cuadrados), que sirve como centro neurálgico de los 1,400 vuelos diarios de la línea aérea.[34] Las instalaciones de $25 millones de dólares ($29.7 millones de dólares actuales), 6,700 m² (72,000 pies cuadrados) en una esquina lejana de la propiedad del aeropuerto comenzaron a operar en noviembre de 2008. Con un personal de más de 600 especialistas, coordinó todas las llegadas, departamentos y vuelos, servicios en el sistema global de US Airways las 24 horas del día, los siete días de la semana. Desde entonces, el centro se mudó a Dallas/Ft. Worth.[35]
Aerolíneas y destinos
Pasajeros
Carga
El Aeropuerto Internacional de Pittsburgh tiene un importante negocio de carga, con una zona de libre comercio de 20 km² (5,000 acres), acceso a tres líneas de carga ferroviarias de clase uno, una autopista interestatal y una ubicación a pocas millas del segundo puerto interior más grande de la nación.[38] Los tres transportistas de carga más grandes del aeropuerto representan más de 45 millones de kg (100 millones de libras) de carga por año.[39] Tres edificios de carga proporcionan más de 17,001 m² (183,000 pies cuadrados) de capacidad de almacén y más de 41,806 m² (450,000 pies cuadrados) de espacio en la plataforma.[40]
LogisticsCentre, un parque industrial planificado en la intersección de Business Route 60 e International Drive, es un sitio de 1.8 km² (440 acres) que contiene 84,000 m² (900,000 pies cuadrados) de espacio de almacén Clase A, distribución y carga aérea. Los inquilinos actuales incluyen la nueva sede mundial de Dick's Sporting Goods. Se encuentra dentro de la Zona de Comercio Exterior n.º 33.
El Aeropuerto Internacional de Pittsburgh es el principal punto de distribución en América de Wings Logistics Cargo.[41]
La construcción de un complejo de carga de $ 6.75 millones (dólares actuales) comenzó en el aeropuerto en 1987.[42]

| Aerolíneas | Destinos
|
|---|---|
| Amazon Air | Fort Worth/Alliance, Lakeland |
| FedEx Express | Indianápolis, Memphis |
| FedEx Feeder | State College |
| UPS Airlines | Filadelfia, Louisville |
Centro internacional de carga de alimentos
En 2007, LSG SkyChefs, el principal proveedor de servicios aéreos y de negocios del mundo, eligió Pittsburgh como su única instalación de fabricación en el hemisferio occidental. Expandió su centro de servicio al cliente en el lado de carga del aeropuerto en 1,900 m² (20,000 pies cuadrados) y ahora emplea a más de 100 personas con la capacidad de hacer casi 25 millones de comidas al año para su distribución a vuelos en todo el continente americano.[43] LSG SkyChefs citó la ubicación estratégica de la región para el transporte aéreo y de camiones a los principales proveedores y clientes, así como el excelente historial del aeropuerto en el mantenimiento y la expansión de la capacidad.
Destinos internacionales
Se ofrece servicio a 6 destinos internacionales (4 estacionales), a cargo de 5 aerolíneas.
| Ciudades por países | Nombre del aeropuerto | Aerolíneas | |||
|---|---|---|---|---|---|
| Norteamérica | |||||
| Montreal | Aeropuerto Internacional Pierre Elliott Trudeau | ||||
| Toronto | Aeropuerto Internacional Toronto Pearson | ||||
| Cancún | Aeropuerto Internacional de Cancún | ||||
| El Caribe | |||||
| Punta Cana | Aeropuerto Internacional de Punta Cana | ||||
| Europa | |||||
| Reikiavik | Aeropuerto Internacional de Keflavík | ||||
| Londres | Aeropuerto de Londres-Heathrow | ||||
| Total: 6 destinos (4 estacionales), 5 países, 5 aerolíneas | |||||
Estadísticas
Rutas más transitadas
| Número | Ciudad | Pasajeros | Aerolínea |
|---|---|---|---|
| 1 | 407,000 | Delta Air Lines, Southwest Airlines | |
| 2 | 315,000 | Frontier Airlines, Southwest Airlines, Spirit Airlines | |
| 3 | 278,000 | American Airlines, American Eagle | |
| 4 | 274,000 | American Airlines, American Eagle, United Airlines, United Express | |
| 5 | 253,000 | Frontier Airlines, Southwest Airlines, United Airlines | |
| 6 | 215,000 | American Airlines, American Eagle | |
| 7 | 186,000 | American Airlines, American Eagle, Delta Connection | |
| 7 | 175,000 | Spirit Airlines, United Airlines, United Express | |
| 9 | 166,000 | Southwest Airlines | |
| 10 | 164,000 | Delta Connection, JetBlue Airways |
Tráfico anual
| Año | Pasajeros | Año | Pasajeros | Año | Pasajeros |
|---|---|---|---|---|---|
| 2003 | 14,266,984 | 2013 | 7,884,170 | 2023 | 9,196,564 |
| 2004 | 13,271,709 | 2014 | 7,998,970 | 2024 | 9,945,601 |
| 2005 | 10,478,605 | 2015 | 8,128,187 | 2025 | |
| 2006 | 9,987,310 | 2016 | 8,309,754 | 2026 | |
| 2007 | 9,822,588 | 2017 | 8,988,016 | 2027 | |
| 2008 | 8,710,291 | 2018 | 9,658,897 | 2028 | |
| 2009 | 8,031,175 | 2019 | 9,779,024 | 2029 | |
| 2010 | 8,195,359 | 2020 | 3,649,270 | 2030 | |
| 2011 | 8,300,310 | 2021 | 6,354,770 | 2031 | |
| 2012 | 8,041,357 | 2022 | 8,114,028 | 2032 |
Aeropuertos cercanos
Los aeropuertos más cercanos son:[45]
- Aeropuerto Regional Arnold Palmer (74km)
- Aeropuerto de Youngstown (92km)
- Aeropuerto Municipal de Morgantown (98km)
- Aeropuerto de New Philadelphia (102km)
- Aeropuerto de Franklin (103km)
Véase también
Referencias
- ↑ Fontaine, Tom. «Pittsburgh adding flights to regional airports». TribLIVE.com.
- ↑ a b Registro principal de la FAA para el PIT (Forma 5010 PDF), efectivo el 15 de marzo de 2007
- ↑ a b «Airport Statistics». Allegheny County Airport Authority. febrero de 2025. Consultado el 24 de febrero de 2025.
- ↑ Pittsburgh Builds Airport of Future Now
- ↑ Pittsburgh to be first airport to allow non-fliers past security since 9/11
- ↑ Pittsburgh International Airport considers abandoning $1B terminal's landside building, tram
- ↑ a b The Revival of a Once-Bustling Airport
- ↑ Promises made and broken: Picking up the pieces left by US Airways’ departure from Pittsburgh
- ↑ «Non-flyers will have access to Airmall at Pittsburgh International Airport». Pittsburgh Post-Gazette (en inglés). Consultado el 16 de abril de 2019.
- ↑ American adds 5 years to deal for maintenance hangars at Pittsburgh airport
- ↑ Pittsburgh International Airport’s $1.1B project prepares for takeoff
- ↑ A US Airways airport no more? New vision unveiled for Pittsburgh's airport
- ↑ Pittsburgh's airport shows off plans for new $1.1 billion terminal
- ↑ «PIT TRAFFIC REPORT AUGUST 2015: NEW FLIGHTS ON VACATION EXPRESS, ALLEGIANT, SOUTHWEST CONTRIBUTE TO GROWTH - PIT». Archivado desde el original el 20 de octubre de 2015.
- ↑ «Southwest's bid to buy AirTran could bump US Airways as dominant carrier». Pittsburgh Post-Gazette. 28 de septiembre de 2010. Consultado el 4 de octubre de 2010.
- ↑ «Delta Plans Trans-Atlantic Service Between Paris and Raleigh-Durham, Pittsburgh». Atlanta, Georgia: Delta Air Lines. noviembre de 2008. Consultado el 12 de julio de 2009.
- ↑ «Delta ending Pittsburgh-to-Paris flights this summer». agosto de 2018. Consultado el 27 de enero de 2019.
- ↑ «Pittsburgh International Airport ranked world's third best». Pittsburgh Post-Gazette. noviembde de 1999. Consultado el 12 de julio de 2009.
- ↑ «Business Travelers Rank PIT 7th Best Overall U.S. Airport». Allegheny County Airport Authority. marzo de 2011. Archivado desde el original el 7 de abril de 2012. Consultado el 20 de nociembred de 2011.
- ↑ «Pittsburgh International Airport». Federal Aviation Administration. abril de 2009. Archivado desde el original el 4 de noviembre de 2008. Consultado el 12 de julio de 2009.
- ↑ Greater Pittsburgh International Airport – Airport Capacity Enhancement Plan, octubre de 1991, archivado desde el original el 18 de marzo de 2004.
- ↑ «Pittsburgh International Airport». AirportIQ 5010. junio de 2013. Archivado desde el original el 11 de diciembre de 2014. Consultado el 28 de junio de 2013.
- ↑ «Hyatt Regency Pittsburgh Airport website». Archivado desde el original el 23 de abril de 2018. Consultado el 17 de junio de 2020.
- ↑ «Pittsburgh International Airport's $1.1B project prepares for takeoff». TribLIVE.com.
- ↑ «Terminal Maps - PIT». Archivado desde el original el 11 de octubre de 2014. Consultado el 17 de junio de 2020.
- ↑ «Pittsburgh, PA (PIT)». American Airlines. Consultado el 3 de nociembre de 2015.
- ↑ «Book your day pass for The Club airport lounge at Pittsburgh International Airport». shop.theclubairportlounges.com. Archivado desde el original el 24 de octubre de 2017. Consultado el 17 de junio de 2020.
- ↑ "Mister Rogers back at Pittsburgh Int’l Airport" Stuck at the Airport, publicado el 24 de febrero de 2009, conultado el 17 de marzo de 2012.
- ↑ «Go Fast Pass». Grant Oliver Corporation. 2007. Archivado desde el original el 13 de julio ed 2009. Consultado el 12 de julio de 2009.
- ↑ a b «PIT – Parking : Onsite Parking Guide». Allegheny County Airport Authority. 25 de marzo de 2009. Archivado desde el original el 6 de junio de 2009. Consultado el 12 de julio de 2009.
- ↑ «Grey Line». MountainLine Transit. Archivado desde el original el 21 de julio de 2012. Consultado el 17 de febrero de 2010.
- ↑ Dick's Sporting Goods opens expansive $150M corporate headquarters by airport Archivado el 3 de febrero de 2016 en Wayback Machine.. Consultado el 5 de noviembre de 2011 de Pop City Media.
- ↑ «Onorato & Airport Authority Officials Break Ground on New Development at PIT's North Field Site». Allegheny County Airport Authority. 25 de marzo de 2009. Archivado desde el original el 6 de junio de 2009. Consultado el 12 de julio de 2009.
- ↑ «Pittsburgh lands US Airways operations center». Pittsburgh-Post Gazette. 21 de febrero de 2007. Consultado el 6 de noviembre de 2011.
- ↑ «Quantified Stock Market Trading Strategies & Systems - TradingMarkets…». Archivado desde el original el 4 de febrero de 2013. Consultado el 17 de junio de 2020.
- ↑ a b «American Airlines Adds 8 New Routes For Winter 2025-26». Aviation A2Z. 26 de marzo de 2025. Consultado el 26 de marzo de 2025.
- ↑ «Delta Air Lines Adds New Routes from Orlando, Austin, JFK and More». 2 de mayo de 2025.
- ↑ «Onorato, Airport Authority Announce Letter of Intent with Xian Xianyang International Airport for Air Cargo Development». Allegheny County Airport Authority. noviembre de 2007. Archivado desde el original el 28 de septiembre de 2011. Consultado el 20 de noviembre de 2011.
- ↑ «Pittsburgh International Airport: Fact Sheet». Allegheny County Airport Authority. marzo de 2009. Archivado desde el original el 13 de julio de 2009. Consultado el 12 de julio de 2009.
- ↑ «Worldwide Flight Services Cargo Handling Facilities at PIT Receives TSA Certification». Allegheny County Airport Authority. junio de 2009. Archivado desde el original el 7 de abril de 2012. Consultado el 20 de noviembre de 2011.
- ↑ «Data». flypittsburgh.com. Archivado desde el original el 22 de agosto de 2013. Consultado el 13 de junio de 2020.
- ↑ «RIDC asked to develop cargo building». Pittsburgh Press. Pittsburgh, PA. 17 de abril de 1987.
- ↑ «Airport Authority and LSG Sky Chefs Announce Opening of New Frozen Food Facility Located at PIT». Allegheny County Airport Authority. 4 de junio de 2008. Archivado desde el original el 28 de septiembre de 2011. Consultado el 20 de noviembre de 2011.
- ↑ «RITA - BTS - Transtats». Bureau of Transportation Statistics. Consultado el 30 de marzo de 2025.
- ↑ «Aeropuerto de Pittsburgh Int'l». Skyscanner.net. Consultado el 14 de junio de 2020.
Enlaces externos
Portal:Pensilvania. Contenido relacionado con Pensilvania.
Wikiviajes alberga guías de viajes de o sobre Aeropuerto Internacional de Pittsburgh.- Página oficial del aeropuerto PIT (en inglés)
- Sitio Oficial del Departamento de Transportes de los Estados Unidos (en inglés)
- Administración Federal de Aviación de los EE. UU. (en inglés)
- Diagrama del aeropuerto de la FAA (PDF), en efecto el 10 de julio de 2025.
- Información meteorológica y de navegación aérea sobre Aeropuerto Internacional de Pittsburgh en FallingRain.com
- Información del Aeropuerto Internacional de Pittsburgh en AirNav (en inglés)
- Información del Aeropuerto Internacional de Pittsburgh en Great Circle Mapper. (en inglés)
- Historial de accidentes del Aeropuerto Internacional de Pittsburgh en Aviation Safety Network (en inglés)
- Fuentes para este aeropuerto:
- AirNav - información del aeropuerto para KPIT
- ASN - historial de accidente para PIT
- FlightAware información del aeropuerto y rastreo de vuelos en vivo
- NOAA/NWS - últimas observaciones climatólogicas
- SkyVector - cuadro aeronáutico para KPIT
- FAA - información actual de retraso para PIT


